$695,000
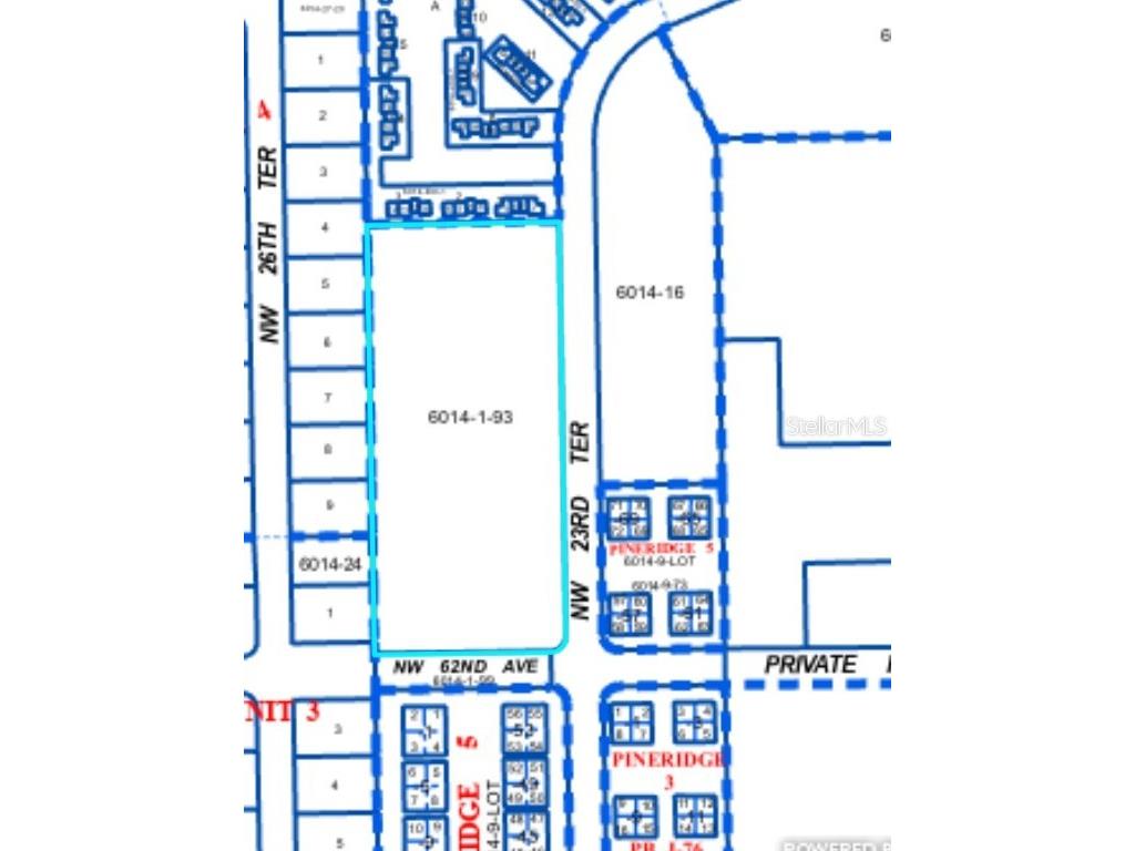
0 NW 23rd Terrace Gainesville, FL 32606
For Sale MLS# GC509361
Commercial
Details for 0 NW 23rd Terrace
MLS# GC509361
Description for 0 NW 23rd Terrace, Gainesville, FL, 32606
An excellent northwest location just off US 441 this 5 acre parcel is waiting for development and has incredible potential for multiple uses. High and dry, flat land - a plus for construction! RMF7 Zoning allows commercial or residential options up to 14 units per acre with duplex or quadraplex construction such as multi-family, churches, elder or childcare facilities. Located with walking distance to Walmart, and close proximity Advance Auto Parts, Dunkin Donuts, and Northwood Village Shopping Center. This is a value for the astute investor looking to maximze this large site.
Listing Information
Property Type: Commercial
Status: Active
Lot Size: 5 Acres
Subdivision: Northwood Commercial
Current Use: Commercial
County: Alachua
Utilities
Other Utilities: Electricity Available,Water Available,Sewer Not Available,Water Not Available
Exterior / Lot Features
Lot Dimensions: 285x678x310x708
Community Features
Community Features: Street Lights
Driving Directions
From Gainesville head west on US HWY 441/NW 13th St. Make a left onto NW 23 st, then a right onto NW 62 Ave. Go past shopping plaza/China Express and property will be on the corner of NW 23rd Terrace and NW 62 Ave.
Financial Considerations
Tax/Property ID: 06014-001-093
Tax Amount: 5404.68
Tax Year: 2022
A broker reciprocity listing courtesy: BHHS FLORIDA REALTY
Based on information provided by Stellar MLS as distributed by the MLS GRID. Information from the Internet Data Exchange is provided exclusively for consumers’ personal, non-commercial use, and such information may not be used for any purpose other than to identify prospective properties consumers may be interested in purchasing. This data is deemed reliable but is not guaranteed to be accurate by Edina Realty, Inc., or by the MLS. Edina Realty, Inc., is not a multiple listing service (MLS), nor does it offer MLS access.
Copyright 2025 Stellar MLS as distributed by the MLS GRID. All Rights Reserved.
Payment Calculator
Interest rate and annual percentage rate (APR) are based on current market conditions, are for informational purposes only, are subject to change without notice and may be subject to pricing add-ons related to property type, loan amount, loan-to-value, credit score and other variables. Estimated closing costs used in the APR calculation are assumed to be paid by the borrower at closing. If the closing costs are financed, the loan, APR and payment amounts will be higher. If the down payment is less than 20%, mortgage insurance may be required and could increase the monthly payment and APR. Contact us for details. Additional loan programs may be available. Accuracy is not guaranteed, and all products may not be available in all borrower's geographical areas and are based on their individual situation. This is not a credit decision or a commitment to lend.
Sales History & Tax Summary for 0 NW 23rd Terrace
Sales History
| Date | Price | Change |
|---|---|---|
| Currently not available. | ||
Tax Summary
| Tax Year | Estimated Market Value | Total Tax |
|---|---|---|
| Currently not available. | ||
Data powered by ATTOM Data Solutions. Copyright© 2025. Information deemed reliable but not guaranteed.
Schools
Schools nearby 0 NW 23rd Terrace
| Schools in attendance boundaries | Grades | Distance | Rating |
|---|---|---|---|
| Loading... | |||
| Schools nearby | Grades | Distance | Rating |
|---|---|---|---|
| Loading... | |||
Data powered by ATTOM Data Solutions. Copyright© 2025. Information deemed reliable but not guaranteed.
The schools shown represent both the assigned schools and schools by distance based on local school and district attendance boundaries. Attendance boundaries change based on various factors and proximity does not guarantee enrollment eligibility. Please consult your real estate agent and/or the school district to confirm the schools this property is zoned to attend. Information is deemed reliable but not guaranteed.
SchoolDigger ® Rating
The SchoolDigger rating system is a 1-5 scale with 5 as the highest rating. SchoolDigger ranks schools based on test scores supplied by each state's Department of Education. They calculate an average standard score by normalizing and averaging each school's test scores across all tests and grades.
Coming soon properties will soon be on the market, but are not yet available for showings.