$1,500,000
11914 International Drive Orlando, FL 32821
For Sale MLS# O6304935
Commercial
Details for 11914 International Drive
MLS# O6304935
Description for 11914 International Drive, Orlando, FL, 32821
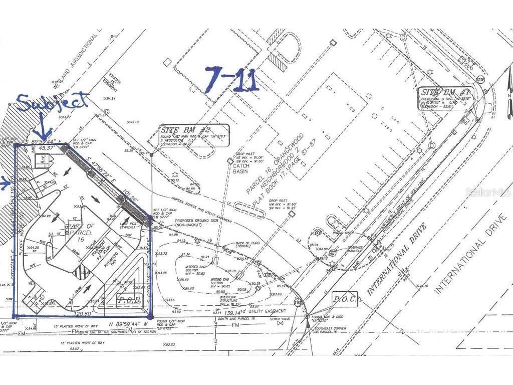
0.37 ACRE COMMERCIAL LAND ON INTERNATIONAL DRIVE! Approved for a COMMERCIAL CAR WASH or Build your own business structure with premium exposure from International drive and Westwood Blvd. Located next to 7/11 Gas Station and across from business plaza, this commercial land benefits from high traffic counts and easy access to local theme parks, hotels, restaurants, entertainment and major highways and airport. Check out the site and plan your future business at this versatile land.
Listing Information
Property Type: Commercial
Status: Active
Lot Size: 0.37 Acres
Subdivision: Orangewood Nbrhd 2
Current Use: Commercial
County: Orange
School Information
Elementary: Sunshine Elementary
Middle: Freedom Middle
High: Lake Buena Vista High School
Utilities
Water: Public
Other Utilities: Electricity Available,Sewer Not Available
Exterior / Lot Features
Lot Dimensions: 120X153
Additional Exterior/Lot Features: Buildable
Community Features
Homeowners Association: Yes
Driving Directions
Next to 7/11 gas station on International Drive
Financial Considerations
Terms: Cash,Conventional,FHA
Tax/Property ID: 13-24-28-6283-00-162
Tax Amount: 7041
Tax Year: 2024
A broker reciprocity listing courtesy: KN PREMIER REALTY, INC
Based on information provided by Stellar MLS as distributed by the MLS GRID. Information from the Internet Data Exchange is provided exclusively for consumers’ personal, non-commercial use, and such information may not be used for any purpose other than to identify prospective properties consumers may be interested in purchasing. This data is deemed reliable but is not guaranteed to be accurate by Edina Realty, Inc., or by the MLS. Edina Realty, Inc., is not a multiple listing service (MLS), nor does it offer MLS access.
Copyright 2026 Stellar MLS as distributed by the MLS GRID. All Rights Reserved.
Payment Calculator
Interest rate and annual percentage rate (APR) are based on current market conditions, are for informational purposes only, are subject to change without notice and may be subject to pricing add-ons related to property type, loan amount, loan-to-value, credit score and other variables. Estimated closing costs used in the APR calculation are assumed to be paid by the borrower at closing. If the closing costs are financed, the loan, APR and payment amounts will be higher. If the down payment is less than 20%, mortgage insurance may be required and could increase the monthly payment and APR. Contact us for details. Additional loan programs may be available. Accuracy is not guaranteed, and all products may not be available in all borrower's geographical areas and are based on their individual situation. This is not a credit decision or a commitment to lend.
Sales History & Tax Summary for 11914 International Drive
Sales History
| Date | Price | |
|---|---|---|
| Currently not available. | ||
Tax Summary
| Tax Year | Estimated Market Value | Total Tax |
|---|---|---|
| Currently not available. | ||
Data powered by ATTOM Data Solutions. Copyright© 2026. Information deemed reliable but not guaranteed.
Schools
Schools nearby 11914 International Drive
| Schools in attendance boundaries | Grades | Distance | Rating |
|---|---|---|---|
| Loading... | |||
| Schools nearby | Grades | Distance | Rating |
|---|---|---|---|
| Loading... | |||
Data powered by ATTOM Data Solutions. Copyright© 2026. Information deemed reliable but not guaranteed.
The schools shown represent both the assigned schools and schools by distance based on local school and district attendance boundaries. Attendance boundaries change based on various factors and proximity does not guarantee enrollment eligibility. Please consult your real estate agent and/or the school district to confirm the schools this property is zoned to attend. Information is deemed reliable but not guaranteed.
SchoolDigger ® Rating
The SchoolDigger rating system is a 1-5 scale with 5 as the highest rating. SchoolDigger ranks schools based on test scores supplied by each state's Department of Education. They calculate an average standard score by normalizing and averaging each school's test scores across all tests and grades.
Coming soon properties will soon be on the market, but are not yet available for showings.