$2,000,000
Off-Market Date: 11/30/20214301 SW 47th Way Gainesville, FL 32608
Pending MLS# GC437774
Commercial
Details for 4301 SW 47th Way
MLS# GC437774
Description for 4301 SW 47th Way, Gainesville, FL, 32608
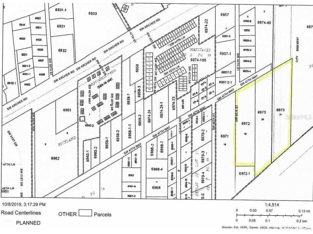
LOCATION LOCATION! Incredible redevelopment 12.41 acres across from Celebration Point, just south from Archer Road. Beautiful property . Current zoning is R-2. With approved re-zoning might be ideal for medical facility,apartments, retail.2 Tax Parcel #s, 06972-000-000 and 06973-000-000. Will not sell separately. (8.41 ac)has old home with asbestos siding and MH that need torn down and removed. This is a true developers dream. This is a deal waiting to happen! By appointment only LA must be present to show.
Listing Information
Property Type: Commercial
Status: Pending
Lot Size: 12.41 Acres
Subdivision: Ricelands
Current Use: Commercial
County: Alachua
School Information
Elementary: Idylwild Elementary School-Al
Middle: Kanapaha Middle School-Al
High: Gainesville High School-Al
Utilities
Water: Well
Sewer: Septic Tank
Other Utilities: Electricity Available
Exterior / Lot Features
Fencing: Other
Additional Exterior/Lot Features: Other
Driving Directions
West on Archer road (past I-75) make u turn at 45th street and make right at 44th street to end of street to sign on SW 47th way.
Financial Considerations
Terms: Cash,Other
Tax/Property ID: 06973-000-000
Tax Amount: 2754
Tax Year: 2019
A broker reciprocity listing courtesy: BHHS FLORIDA REALTY
Based on information provided by Stellar MLS as distributed by the MLS GRID. Information from the Internet Data Exchange is provided exclusively for consumers’ personal, non-commercial use, and such information may not be used for any purpose other than to identify prospective properties consumers may be interested in purchasing. This data is deemed reliable but is not guaranteed to be accurate by Edina Realty, Inc., or by the MLS. Edina Realty, Inc., is not a multiple listing service (MLS), nor does it offer MLS access.
Copyright 2026 Stellar MLS as distributed by the MLS GRID. All Rights Reserved.
Sales History & Tax Summary for 4301 SW 47th Way
Sales History
| Date | Price | |
|---|---|---|
| Currently not available. | ||
Tax Summary
| Tax Year | Estimated Market Value | Total Tax |
|---|---|---|
| Currently not available. | ||
Data powered by ATTOM Data Solutions. Copyright© 2026. Information deemed reliable but not guaranteed.
Schools
Schools nearby 4301 SW 47th Way
| Schools in attendance boundaries | Grades | Distance | Rating |
|---|---|---|---|
| Loading... | |||
| Schools nearby | Grades | Distance | Rating |
|---|---|---|---|
| Loading... | |||
Data powered by ATTOM Data Solutions. Copyright© 2026. Information deemed reliable but not guaranteed.
The schools shown represent both the assigned schools and schools by distance based on local school and district attendance boundaries. Attendance boundaries change based on various factors and proximity does not guarantee enrollment eligibility. Please consult your real estate agent and/or the school district to confirm the schools this property is zoned to attend. Information is deemed reliable but not guaranteed.
SchoolDigger ® Rating
The SchoolDigger rating system is a 1-5 scale with 5 as the highest rating. SchoolDigger ranks schools based on test scores supplied by each state's Department of Education. They calculate an average standard score by normalizing and averaging each school's test scores across all tests and grades.
Coming soon properties will soon be on the market, but are not yet available for showings.