$715,000
5935 Sr 100 E Palm Coast, FL 32137
For Sale MLS# FC220680
Commercial
Details for 5935 Sr 100 E
MLS# FC220680
Description for 5935 Sr 100 E, Palm Coast, FL, 32137
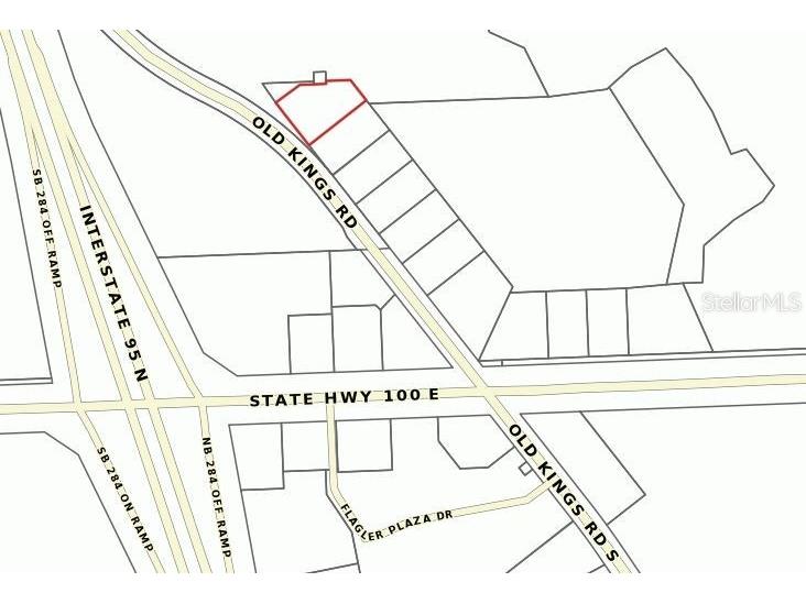
Exceptional pad ready retail site a the intersection of Old Kings Road and SR 100. Kings Pointe Development is a beautifully landscaped ( large lake in the center of property) commercial subdivision on the prime east/west corridor in Palm Coast. This location is just 100 yards from I-95 interchange and is subdivided into 12 prime retail lots. Great drive by visibility with the added feature of a private frontage road offering access from both SR 100 and Old Kings. Please see flyer for detailed demographic information.
Listing Information
Property Type: Commercial
Status: Active
Lot Size: 1.28 Acres
Subdivision: Kings Pointe Commercial
Current Use: Commercial
County: Flagler
Days On Market: 3421
Utilities
Water: Public
Sewer: Public Sewer
Other Utilities: Electricity Available,Phone Available,Sewer Available,Water Available,Water Connected
Exterior / Lot Features
Lot View: Water
Topography: Filled
Additional Exterior/Lot Features: Cleared, Buildable
Waterfront Details
Water Front Features: Pond
Community Features
Homeowners Association: Yes
Association Name: Vesta Property Management
HOA Dues: $700 / Quarterly
Driving Directions
Northeast side of SR100 Old Kings Road intersection
Financial Considerations
Terms: Cash,Conventional
Tax/Property ID: 39-12-31-3380-00000-0010
Tax Amount: 7550
Tax Year: 2020
A broker reciprocity listing courtesy: PARKSIDE REALTY GROUP
Based on information provided by Stellar MLS as distributed by the MLS GRID. Information from the Internet Data Exchange is provided exclusively for consumers’ personal, non-commercial use, and such information may not be used for any purpose other than to identify prospective properties consumers may be interested in purchasing. This data is deemed reliable but is not guaranteed to be accurate by Edina Realty, Inc., or by the MLS. Edina Realty, Inc., is not a multiple listing service (MLS), nor does it offer MLS access.
Copyright 2025 Stellar MLS as distributed by the MLS GRID. All Rights Reserved.
Payment Calculator
Interest rate and annual percentage rate (APR) are based on current market conditions, are for informational purposes only, are subject to change without notice and may be subject to pricing add-ons related to property type, loan amount, loan-to-value, credit score and other variables. Estimated closing costs used in the APR calculation are assumed to be paid by the borrower at closing. If the closing costs are financed, the loan, APR and payment amounts will be higher. If the down payment is less than 20%, mortgage insurance may be required and could increase the monthly payment and APR. Contact us for details. Additional loan programs may be available. Accuracy is not guaranteed, and all products may not be available in all borrower's geographical areas and are based on their individual situation. This is not a credit decision or a commitment to lend.
Sales History & Tax Summary for 5935 Sr 100 E
Sales History
| Date | Price | Change |
|---|---|---|
| Currently not available. | ||
Tax Summary
| Tax Year | Estimated Market Value | Total Tax |
|---|---|---|
| Currently not available. | ||
Data powered by ATTOM Data Solutions. Copyright© 2025. Information deemed reliable but not guaranteed.
Schools
Schools nearby 5935 Sr 100 E
| Schools in attendance boundaries | Grades | Distance | Rating |
|---|---|---|---|
| Loading... | |||
| Schools nearby | Grades | Distance | Rating |
|---|---|---|---|
| Loading... | |||
Data powered by ATTOM Data Solutions. Copyright© 2025. Information deemed reliable but not guaranteed.
The schools shown represent both the assigned schools and schools by distance based on local school and district attendance boundaries. Attendance boundaries change based on various factors and proximity does not guarantee enrollment eligibility. Please consult your real estate agent and/or the school district to confirm the schools this property is zoned to attend. Information is deemed reliable but not guaranteed.
SchoolDigger ® Rating
The SchoolDigger rating system is a 1-5 scale with 5 as the highest rating. SchoolDigger ranks schools based on test scores supplied by each state's Department of Education. They calculate an average standard score by normalizing and averaging each school's test scores across all tests and grades.
Coming soon properties will soon be on the market, but are not yet available for showings.