$575,000
1214 E Park Circle Tampa, FL 33604 - HILLSBOROUGH RIVER
For Sale MLS# TB8477180
0.25 Acres Lot/Land
Details for 1214 E Park Circle
MLS# TB8477180
Description for 1214 E Park Circle, Tampa, FL, 33604 - HILLSBOROUGH RIVER
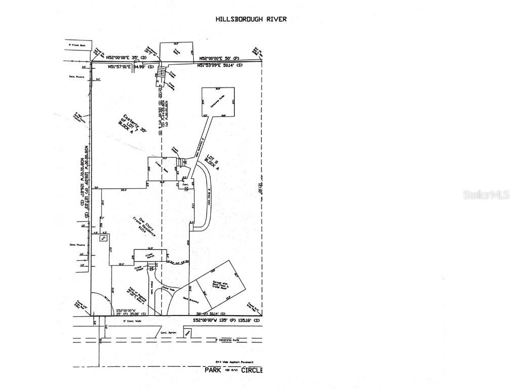
Perfectly positioned on a quiet, kayak-friendly stretch of the Hillsborough River, this exceptional riverfront homesite captures the very best of Tampa living. There is living in Florida—and then there is truly living the Florida lifestyle. Here, you can have both. With approximately 86 feet of improved shoreline and sweeping water views framed by mature greenery, this property offers an intimate yet dynamic connection to the river. From your vantage point, watch kayakers and paddleboarders glide past, neighbors calling out as they float by. Electric boats drift along on sunset cocktail cruises, sometimes heading toward an evening at the Straz Center or cruising out to Tampa Bay. Staying home, however, may be the greatest luxury of all. Spend evenings gathered on your back deck or dock overlooking the water, host a garden party under the canopy of trees, or relax on the front porch greeting dog walkers and families enjoying a stroll down the shaded street. This cleared, buildable footprint offers a seamless path toward creating your custom dream home—with no known permitting obstacles to slow your vision. Wildlife thrives in this tranquil corner of Tampa. Manatees, dolphins, turtles, and more than twenty species of fish share the waterway, with the occasional alligator sighting reminding you of Florida’s untamed beauty. By day, osprey, kingfishers, herons, and cormorants sweep across the river, while shoreline trees fill with songbirds. At night, bats and owls quietly take over the skies. Despite this remarkable natural setting, there are no nearby major roads or airport traffic—just the soothing sounds of nature in an established neighborhood of single-family homes. Located in highly sought-after Seminole Heights—often referred to as the “Coconut Grove of Tampa”—this property is surrounded by historic charm, modern flair, and a vibrant local culture. Award-winning restaurants, craft breweries, and eclectic boutiques are moments away, and three parks are within walking distance. Ideally situated midway between Downtown Tampa and the University of South Florida, this green oasis places you in the center of it all while feeling worlds apart. The generous river frontage and expansive sightlines allow you to design a residence that maximizes sunrise views and golden evening reflections. Imagine walls of glass framing the water, expansive outdoor living areas, a resort-style pool, and seamless indoor-outdoor entertaining spaces that celebrate Tampa’s year-round sunshine. This is more than a homesite—it is an iconic riverfront parcel offering charm, community, nature, and unmatched convenience. Bring your architect, bring your imagination, and schedule your private walk of the property today. Opportunities like this are truly rare.
Listing Information
Property Type: Lot/Land, Residential
Status: Active
Lot Size: 0.25 Acres
Subdivision: Riverbend Sub
Current Use: Residential,Single Family
County: Hillsborough
School Information
Elementary: Foster-Hb
Middle: Sligh-Hb
High: Hillsborough-Hb
Utilities
Water: Public
Sewer: Public Sewer
Other Utilities: Electricity Available,Sewer Available,Sewer Connected,Water Available,Water Connected
Exterior / Lot Features
Lot View: River,Water
Lot Dimensions: 85x127
Additional Exterior/Lot Features: City Lot, Oversized Lot, Landscaped, Buildable
Waterfront Details
Standard Water Body: HILLSBOROUGH RIVER
Water Front Features: River Access, River Front
Community Features
Community Features: River, Park
Driving Directions
Take I-275, Exit east on Sligh Ave. Cross over Nebraska Ave. Continue east until traffic light at 15th St. Continue to stoop sign. Turn right onto Hilton Place. 1Block is a Stop sign. Turn left onto E. Park Circle. Continue driving on Park Circle until the road splits. Bear right, drive halfway around circle to address.
Financial Considerations
Terms: Cash,Conventional
Tax/Property ID: A-30-28-19-4JD-A00000-00007.0
Tax Amount: 172
Tax Year: 2024
A broker reciprocity listing courtesy: THE TONI EVERETT COMPANY
Based on information provided by Stellar MLS as distributed by the MLS GRID. Information from the Internet Data Exchange is provided exclusively for consumers’ personal, non-commercial use, and such information may not be used for any purpose other than to identify prospective properties consumers may be interested in purchasing. This data is deemed reliable but is not guaranteed to be accurate by Edina Realty, Inc., or by the MLS. Edina Realty, Inc., is not a multiple listing service (MLS), nor does it offer MLS access.
Copyright 2026 Stellar MLS as distributed by the MLS GRID. All Rights Reserved.
Payment Calculator
Interest rate and annual percentage rate (APR) are based on current market conditions, are for informational purposes only, are subject to change without notice and may be subject to pricing add-ons related to property type, loan amount, loan-to-value, credit score and other variables. Estimated closing costs used in the APR calculation are assumed to be paid by the borrower at closing. If the closing costs are financed, the loan, APR and payment amounts will be higher. If the down payment is less than 20%, mortgage insurance may be required and could increase the monthly payment and APR. Contact us for details. Additional loan programs may be available. Accuracy is not guaranteed, and all products may not be available in all borrower's geographical areas and are based on their individual situation. This is not a credit decision or a commitment to lend.
Sales History & Tax Summary for 1214 E Park Circle
Sales History
| Date | Price | |
|---|---|---|
| Currently not available. | ||
Tax Summary
| Tax Year | Estimated Market Value | Total Tax |
|---|---|---|
| Currently not available. | ||
Data powered by ATTOM Data Solutions. Copyright© 2026. Information deemed reliable but not guaranteed.
Schools
Schools nearby 1214 E Park Circle
| Schools in attendance boundaries | Grades | Distance | Rating |
|---|---|---|---|
| Loading... | |||
| Schools nearby | Grades | Distance | Rating |
|---|---|---|---|
| Loading... | |||
Data powered by ATTOM Data Solutions. Copyright© 2026. Information deemed reliable but not guaranteed.
The schools shown represent both the assigned schools and schools by distance based on local school and district attendance boundaries. Attendance boundaries change based on various factors and proximity does not guarantee enrollment eligibility. Please consult your real estate agent and/or the school district to confirm the schools this property is zoned to attend. Information is deemed reliable but not guaranteed.
SchoolDigger ® Rating
The SchoolDigger rating system is a 1-5 scale with 5 as the highest rating. SchoolDigger ranks schools based on test scores supplied by each state's Department of Education. They calculate an average standard score by normalizing and averaging each school's test scores across all tests and grades.
Coming soon properties will soon be on the market, but are not yet available for showings.