12716 N County Hwy T #11 Hayward, WI 54843 - Nelson Lake
For Sale MLS# 1595389
3 beds 2 baths 1,404 sq ft Condo
Details for 12716 N County Hwy T #11
MLS# 1595389
Description for 12716 N County Hwy T #11, Hayward, WI, 54843 - Nelson Lake
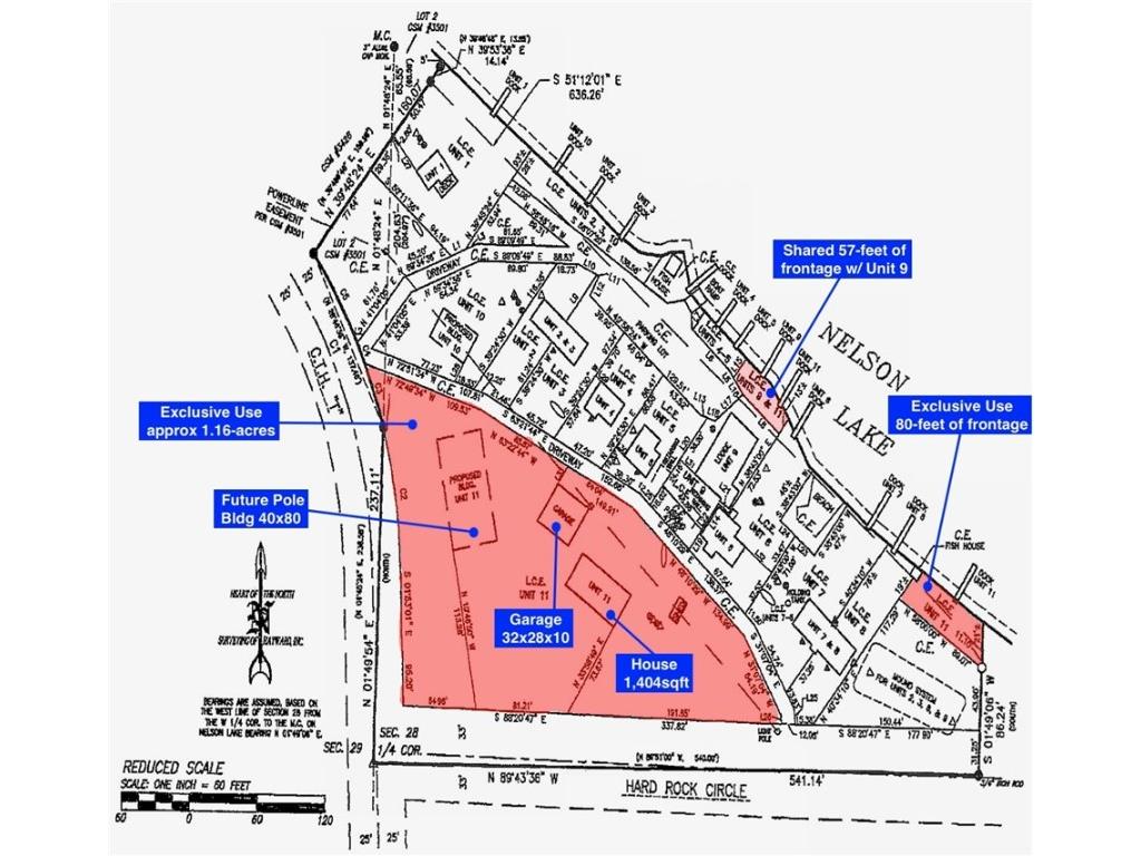
Welcome to White Manor Condominiums on beautiful Nelson Lake! This home offers 1404 sqft of living space w/ 3bd, 2ba, an office/laundry room, a spacious living room, dining area & kitchen. Set back from the lake, the home enjoys a lake view & convenient access to shared amenities: including fish houses, parking lot, driveway, beach & storage areas. The property includes an oversized, heated & insulated 2-car garage w/ loft area. This condo (Unit 11) has exclusive rights to 80-feet of private shoreline on the eastern edge of the property & shared 57-feet w/ Unit 9 & approval is in place on the condo plat for a future 40x80 pole bldg. Unit 11 is allowed two docks. Condo dues cover garbage, snow removal & lawn care. Outdoor recreation abounds w/ direct access to the lake for boating, fishing, and winter sports, as well as ATV/UTV & snowmobile trails. This property is a versatile retreat with space, amenities & recreational opportunities to enjoy every season.
Listing Information
Property Type: Residential, Condominium, Single Family Residence
Status: Active
Bedrooms: 3
Bathrooms: 2
Square Feet: 1,404 sq ft
Year Built: 1992
Garage: Yes
Stories: 1 Story
Construction: Vinyl Siding
Foundation: None
County: Sawyer
Days On Market: 77
School Information
District: Hayward Community
Room Information
Main Floor
Bathroom: 4.5x7.5
Living Room: 13x18
Bathroom: 7.5x12.5
Bedroom: 10x10.5
Bedroom: 11.5x12.5
Bedroom: 11x12.5
Laundry: 9x9
Entry/Foyer: 3.5x6
Dining Room: 8x11
Kitchen: 12x12.5
Bathrooms
Full Baths: 2
Interior Features
Square Footage above: 1,404 sq ft
Appliances: Range, Refrigerator, Oven
Basement: Crawl Space
Fireplaces: 1, One, Wood Burning
Additional Interior Features: Ceiling Fan(s)
Utilities
Water: Shared Well
Sewer: Septic Tank, Holding Tank
Cooling: Central Air
Heating: Forced Air
Exterior / Lot Features
Garage Spaces: 2
Parking Description: Detached, Asphalt, Garage, driveway
Lot View: Lake
Lot Dimensions: 0 x 0 x
Zoning: Recreational,Residential,Shoreline
Fencing: Chain Link
Additional Exterior/Lot Features: Dock, Porch, Open
Out Buildings: Shed(s)
Waterfront Details
Boat Facilities: Boat Facilities
Standard Water Body: Nelson Lake
Water Front Features: Lake
Community Features
Homeowners Association: Yes
HOA Dues: $600 / Annually
Driving Directions
From Hayward: North on Hwy 27 to a right on County Hwy T to a left into White Manor Resort to an immediate right to the property on the right.
Financial Considerations
Covenants/Deed Restrictions: Sellers Personal, Tenants Personal
Tax/Property ID: 16223
Tax Amount: 1225.75
Tax Year: 2024
A broker reciprocity listing courtesy: Woodland Developments & Realty
The data relating to real estate for sale on this web site comes in part from the Broker Reciprocity℠ Program of the Northwestern Wisconsin MLS. Real estate listings held by brokerage firms other than Edina Realty, Inc. are marked with the Broker Reciprocity℠ logo or the Broker Reciprocity℠ thumbnail and detailed information about them includes the name of the listing brokers. Edina Realty, Inc. is not a Multiple Listing Service (MLS), nor does it offer MLS access. This website is a service of Edina Realty, Inc., a broker Participant of the Northwestern Wisconsin MLS. IDX information is provided exclusively for consumers personal, non-commercial use and may not be used for any purpose other than to identify prospective properties consumers may be interested in purchasing. Open House information is subject to change without notice. Information deemed reliable but not guaranteed.
Copyright 2025 Northwestern Wisconsin MLS. All Rights Reserved.
Payment Calculator
Interest rate and annual percentage rate (APR) are based on current market conditions, are for informational purposes only, are subject to change without notice and may be subject to pricing add-ons related to property type, loan amount, loan-to-value, credit score and other variables. Estimated closing costs used in the APR calculation are assumed to be paid by the borrower at closing. If the closing costs are financed, the loan, APR and payment amounts will be higher. If the down payment is less than 20%, mortgage insurance may be required and could increase the monthly payment and APR. Contact us for details. Additional loan programs may be available. Accuracy is not guaranteed, and all products may not be available in all borrower's geographical areas and are based on their individual situation. This is not a credit decision or a commitment to lend.
Sales History & Tax Summary for 12716 N County Hwy T #11
Sales History
| Date | Price | Change |
|---|---|---|
| Currently not available. | ||
Tax Summary
| Tax Year | Estimated Market Value | Total Tax |
|---|---|---|
| Currently not available. | ||
Data powered by ATTOM Data Solutions. Copyright© 2025. Information deemed reliable but not guaranteed.
Schools
Schools nearby 12716 N County Hwy T #11
| Schools in attendance boundaries | Grades | Distance | Rating |
|---|---|---|---|
| Loading... | |||
| Schools nearby | Grades | Distance | Rating |
|---|---|---|---|
| Loading... | |||
Data powered by ATTOM Data Solutions. Copyright© 2025. Information deemed reliable but not guaranteed.
The schools shown represent both the assigned schools and schools by distance based on local school and district attendance boundaries. Attendance boundaries change based on various factors and proximity does not guarantee enrollment eligibility. Please consult your real estate agent and/or the school district to confirm the schools this property is zoned to attend. Information is deemed reliable but not guaranteed.
SchoolDigger ® Rating
The SchoolDigger rating system is a 1-5 scale with 5 as the highest rating. SchoolDigger ranks schools based on test scores supplied by each state's Department of Education. They calculate an average standard score by normalizing and averaging each school's test scores across all tests and grades.
Coming soon properties will soon be on the market, but are not yet available for showings.