0 Deland Deland, FL 32724
For Sale MLS# B4901925
0.30 Acres Lot/Land
Details for 0 Deland
MLS# B4901925
Description for 0 Deland, Deland, FL, 32724
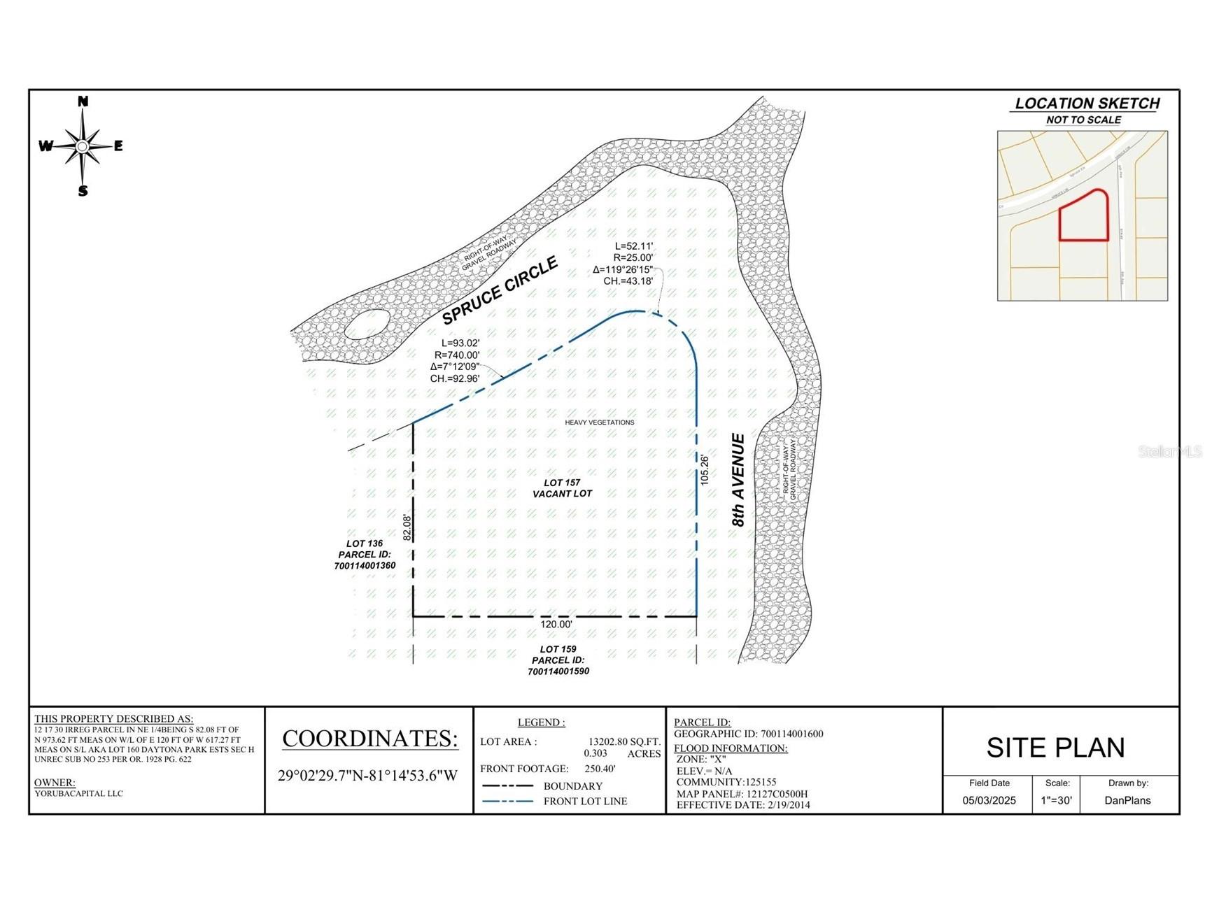
Lot in Daytona Park Estates Spacious .303-acre lot (Lot 160, Sec H) in Daytona Park Estates, Volusia County. Measuring approximately 120' x 82', this parcel offers a prime opportunity for residential development or investment. Located in an unrecorded subdivision, buyers are advised to verify zoning, utilities, and buildability with the county. Conveniently located near downtown DeLand and a short drive to the coast.
Listing Information
Property Type: Lot/Land, Unimproved Land
Status: Active
Lot Size: 0.30 Acres
Current Use: Unimproved
County: Volusia
Utilities
Other Utilities: Other,Sewer Not Available,Water Not Available
Exterior / Lot Features
Lot Dimensions: 120x82
Driving Directions
From downtown DeLand, take FL-44 W, turn right on Spring Garden Ave, left on W Minnesota Ave, then follow local roads into Daytona Park Estates near Azalea Drive to reach Lot 160.
Financial Considerations
Tax/Property ID: 7001-14-00-1600
Tax Amount: 12.93
Tax Year: 2024
A broker reciprocity listing courtesy: REMAX HOMES & PROPERTIES
Based on information provided by Stellar MLS as distributed by the MLS GRID. Information from the Internet Data Exchange is provided exclusively for consumers’ personal, non-commercial use, and such information may not be used for any purpose other than to identify prospective properties consumers may be interested in purchasing. This data is deemed reliable but is not guaranteed to be accurate by Edina Realty, Inc., or by the MLS. Edina Realty, Inc., is not a multiple listing service (MLS), nor does it offer MLS access.
Copyright 2026 Stellar MLS as distributed by the MLS GRID. All Rights Reserved.
Payment Calculator
Interest rate and annual percentage rate (APR) are based on current market conditions, are for informational purposes only, are subject to change without notice and may be subject to pricing add-ons related to property type, loan amount, loan-to-value, credit score and other variables. Estimated closing costs used in the APR calculation are assumed to be paid by the borrower at closing. If the closing costs are financed, the loan, APR and payment amounts will be higher. If the down payment is less than 20%, mortgage insurance may be required and could increase the monthly payment and APR. Contact us for details. Additional loan programs may be available. Accuracy is not guaranteed, and all products may not be available in all borrower's geographical areas and are based on their individual situation. This is not a credit decision or a commitment to lend.
Sales History & Tax Summary for 0 Deland
Sales History
| Date | Price | |
|---|---|---|
| Currently not available. | ||
Tax Summary
| Tax Year | Estimated Market Value | Total Tax |
|---|---|---|
| Currently not available. | ||
Data powered by ATTOM Data Solutions. Copyright© 2026. Information deemed reliable but not guaranteed.
Schools
Schools nearby 0 Deland
| Schools in attendance boundaries | Grades | Distance | Rating |
|---|---|---|---|
| Loading... | |||
| Schools nearby | Grades | Distance | Rating |
|---|---|---|---|
| Loading... | |||
Data powered by ATTOM Data Solutions. Copyright© 2026. Information deemed reliable but not guaranteed.
The schools shown represent both the assigned schools and schools by distance based on local school and district attendance boundaries. Attendance boundaries change based on various factors and proximity does not guarantee enrollment eligibility. Please consult your real estate agent and/or the school district to confirm the schools this property is zoned to attend. Information is deemed reliable but not guaranteed.
SchoolDigger ® Rating
The SchoolDigger rating system is a 1-5 scale with 5 as the highest rating. SchoolDigger ranks schools based on test scores supplied by each state's Department of Education. They calculate an average standard score by normalizing and averaging each school's test scores across all tests and grades.
Coming soon properties will soon be on the market, but are not yet available for showings.