$24,900
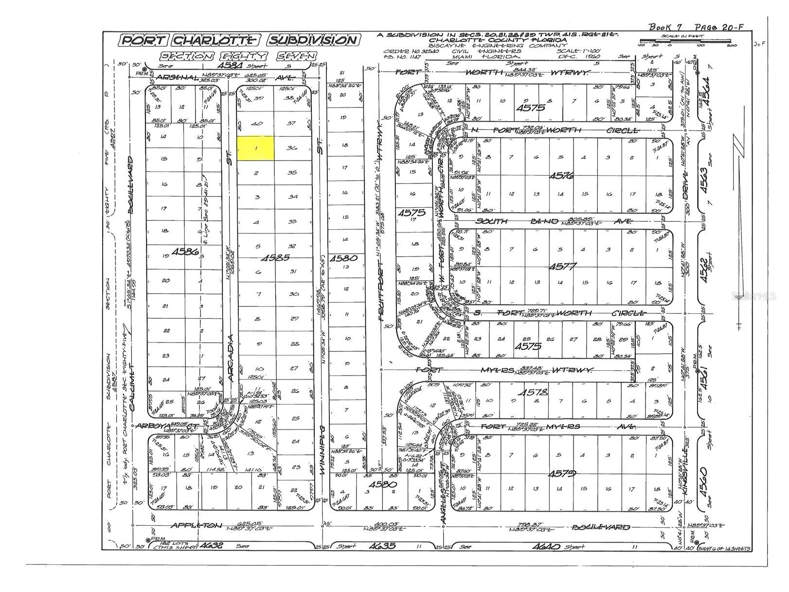
10194 Arcadia Street Port Charlotte, FL 33981
For Sale MLS# D6146673
0.23 Acres Lot/Land
Details for 10194 Arcadia Street
MLS# D6146673
Description for 10194 Arcadia Street, Port Charlotte, FL, 33981
This nice buildable residential lot is located in the deed restricted community of South Gulf Cove! This is a VOLUNTARY homeowners association for only $120 annually. As they say on their website: "It's not your typical HOA with nitpicking rules and fines." Amenities include community boat ramp w/Gulf Access, clubhouse, a playground, several parks offering basketball, BBQ grills, boat ramp, kayak launch, fishing, facility rentals, picnic shelters, picnic tables, & restrooms. Electricity, water and sewer are available. Currently NOT located in a Scrub Jay habitat per Charlotte County (please reconfirm during due diligence). Conveniently located near shopping, restaurants, area beaches, golfing, World Class fishing and so much more! Look no further and make this community your new home!
Listing Information
Property Type: Lot/Land, Unimproved Land
Status: Active
Lot Size: 0.23 Acres
Subdivision: Port Charlotte Sec 87
Current Use: Unimproved
County: Charlotte
School Information
Elementary: Myakka River Elementary
Middle: L.A. Ainger Middle
High: Lemon Bay High
Utilities
Water: Public
Sewer: Public Sewer
Other Utilities: Electricity Available,Municipal Utilities,Phone Available,Sewer Available,Water Available
Exterior / Lot Features
Lot Dimensions: 80X125
Additional Exterior/Lot Features: Flat, Level, Buildable, Trees, Outside City Limits
Community Features
Community Features: Boat Facilities, Park
Association Amenities: Clubhouse, Park
HOA Dues Include: Taxes, Common Areas
Homeowners Association: Yes
HOA Dues: $120 / Annually
Driving Directions
Take CR 771 (Gasparilla Road) south to left on Appleton Boulevard, left on Calumet Boulevard and right on Arcadia Street. Property will be on the right. Look for the sign.
Financial Considerations
Terms: Cash
Tax/Property ID: 412128153003
Tax Amount: 939
Tax Year: 2025
A broker reciprocity listing courtesy: RE/MAX ALLIANCE GROUP
Based on information provided by Stellar MLS as distributed by the MLS GRID. Information from the Internet Data Exchange is provided exclusively for consumers’ personal, non-commercial use, and such information may not be used for any purpose other than to identify prospective properties consumers may be interested in purchasing. This data is deemed reliable but is not guaranteed to be accurate by Edina Realty, Inc., or by the MLS. Edina Realty, Inc., is not a multiple listing service (MLS), nor does it offer MLS access.
Copyright 2026 Stellar MLS as distributed by the MLS GRID. All Rights Reserved.
Payment Calculator
Interest rate and annual percentage rate (APR) are based on current market conditions, are for informational purposes only, are subject to change without notice and may be subject to pricing add-ons related to property type, loan amount, loan-to-value, credit score and other variables. Estimated closing costs used in the APR calculation are assumed to be paid by the borrower at closing. If the closing costs are financed, the loan, APR and payment amounts will be higher. If the down payment is less than 20%, mortgage insurance may be required and could increase the monthly payment and APR. Contact us for details. Additional loan programs may be available. Accuracy is not guaranteed, and all products may not be available in all borrower's geographical areas and are based on their individual situation. This is not a credit decision or a commitment to lend.
Sales History & Tax Summary for 10194 Arcadia Street
Sales History
| Date | Price | |
|---|---|---|
| Currently not available. | ||
Tax Summary
| Tax Year | Estimated Market Value | Total Tax |
|---|---|---|
| Currently not available. | ||
Data powered by ATTOM Data Solutions. Copyright© 2026. Information deemed reliable but not guaranteed.
Schools
Schools nearby 10194 Arcadia Street
| Schools in attendance boundaries | Grades | Distance | Rating |
|---|---|---|---|
| Loading... | |||
| Schools nearby | Grades | Distance | Rating |
|---|---|---|---|
| Loading... | |||
Data powered by ATTOM Data Solutions. Copyright© 2026. Information deemed reliable but not guaranteed.
The schools shown represent both the assigned schools and schools by distance based on local school and district attendance boundaries. Attendance boundaries change based on various factors and proximity does not guarantee enrollment eligibility. Please consult your real estate agent and/or the school district to confirm the schools this property is zoned to attend. Information is deemed reliable but not guaranteed.
SchoolDigger ® Rating
The SchoolDigger rating system is a 1-5 scale with 5 as the highest rating. SchoolDigger ranks schools based on test scores supplied by each state's Department of Education. They calculate an average standard score by normalizing and averaging each school's test scores across all tests and grades.
Coming soon properties will soon be on the market, but are not yet available for showings.