$860,000
10240 SE 58th Avenue Belleview, FL 34420
For Sale MLS# OM713861
2.76 Acres Lot/Land
Details for 10240 SE 58th Avenue
MLS# OM713861
Description for 10240 SE 58th Avenue, Belleview, FL, 34420
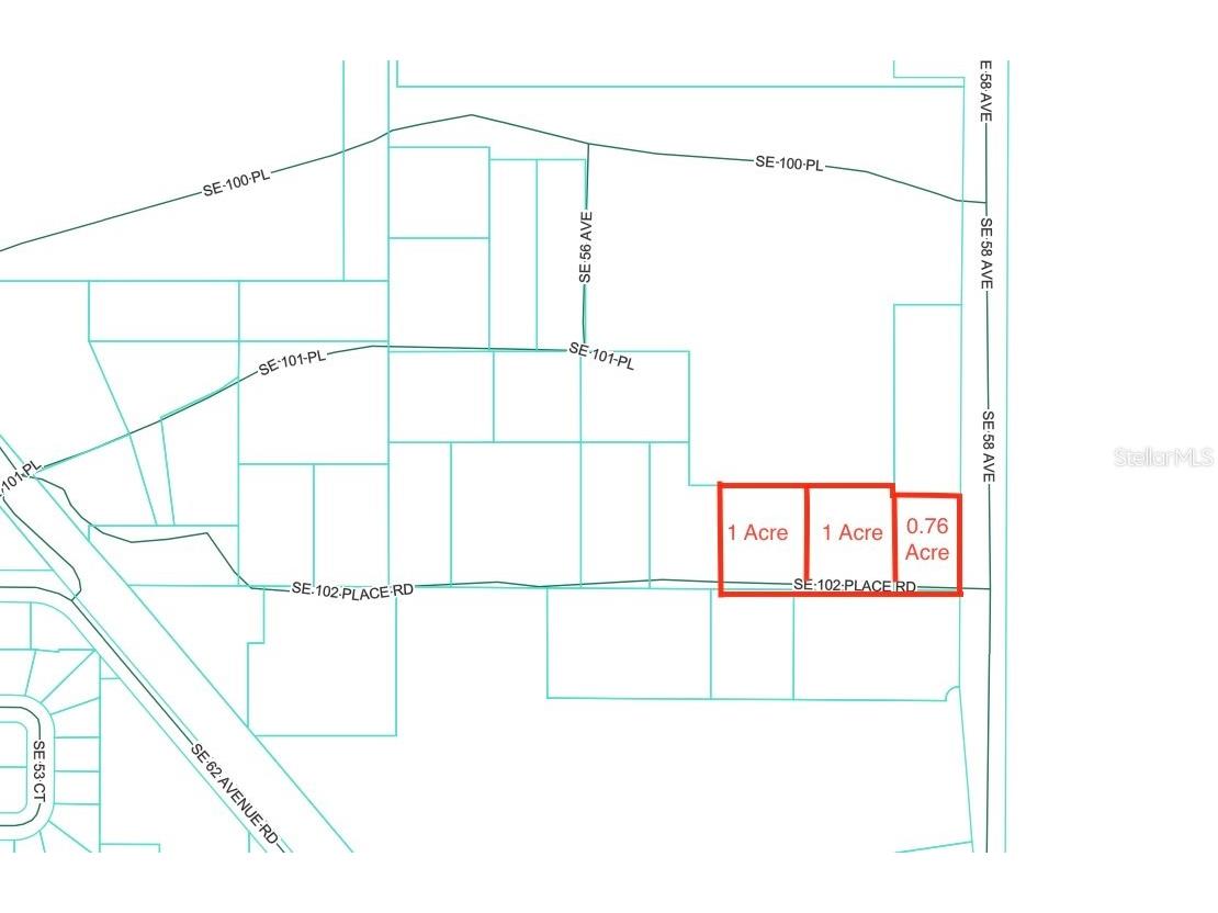
Rare M-1 Vacant property in Belleview Fl. ready to be built on with 208 ft of frontage on Baseline road. Property is sold together but is 3 individual lots. Parcel #37021-002-00 is .76 acres, Parcel #36994-005-00 is 1.00 acres, Parcel # 36994-003-00 is 1.00 acres. Total property size is 2.76 acres. Great location for all your needs right inside Belleview city limits. Property is sold AS-IS. Do not access property without permission, owner not liable.
Listing Information
Property Type: Lot/Land, Industrial
Status: Active
Lot Size: 2.76 Acres
Current Use: Industrial
County: Marion
Utilities
Other Utilities: Other,Sewer Not Available,Water Not Available
Exterior / Lot Features
Lot Dimensions: 208x556
Additional Exterior/Lot Features: Corner Lot
Driving Directions
From Ocala take hwy 441 south, turn left on se 92nd place rd, go till you get to stop light and turn right on baseline rd. Property is on right hand side of road. From the Villages take hwy 441 north, turn right on to se baseline rd, go straight though next light and property is on the left side of the road.
Financial Considerations
Tax/Property ID: 37021-002-00
Tax Amount: 128.5
Tax Year: 2024
A broker reciprocity listing courtesy: FRENCH REAL ESTATE CO.
Based on information provided by Stellar MLS as distributed by the MLS GRID. Information from the Internet Data Exchange is provided exclusively for consumers’ personal, non-commercial use, and such information may not be used for any purpose other than to identify prospective properties consumers may be interested in purchasing. This data is deemed reliable but is not guaranteed to be accurate by Edina Realty, Inc., or by the MLS. Edina Realty, Inc., is not a multiple listing service (MLS), nor does it offer MLS access.
Copyright 2026 Stellar MLS as distributed by the MLS GRID. All Rights Reserved.
Payment Calculator
Interest rate and annual percentage rate (APR) are based on current market conditions, are for informational purposes only, are subject to change without notice and may be subject to pricing add-ons related to property type, loan amount, loan-to-value, credit score and other variables. Estimated closing costs used in the APR calculation are assumed to be paid by the borrower at closing. If the closing costs are financed, the loan, APR and payment amounts will be higher. If the down payment is less than 20%, mortgage insurance may be required and could increase the monthly payment and APR. Contact us for details. Additional loan programs may be available. Accuracy is not guaranteed, and all products may not be available in all borrower's geographical areas and are based on their individual situation. This is not a credit decision or a commitment to lend.
Sales History & Tax Summary for 10240 SE 58th Avenue
Sales History
| Date | Price | |
|---|---|---|
| Currently not available. | ||
Tax Summary
| Tax Year | Estimated Market Value | Total Tax |
|---|---|---|
| Currently not available. | ||
Data powered by ATTOM Data Solutions. Copyright© 2026. Information deemed reliable but not guaranteed.
Schools
Schools nearby 10240 SE 58th Avenue
| Schools in attendance boundaries | Grades | Distance | Rating |
|---|---|---|---|
| Loading... | |||
| Schools nearby | Grades | Distance | Rating |
|---|---|---|---|
| Loading... | |||
Data powered by ATTOM Data Solutions. Copyright© 2026. Information deemed reliable but not guaranteed.
The schools shown represent both the assigned schools and schools by distance based on local school and district attendance boundaries. Attendance boundaries change based on various factors and proximity does not guarantee enrollment eligibility. Please consult your real estate agent and/or the school district to confirm the schools this property is zoned to attend. Information is deemed reliable but not guaranteed.
SchoolDigger ® Rating
The SchoolDigger rating system is a 1-5 scale with 5 as the highest rating. SchoolDigger ranks schools based on test scores supplied by each state's Department of Education. They calculate an average standard score by normalizing and averaging each school's test scores across all tests and grades.
Coming soon properties will soon be on the market, but are not yet available for showings.