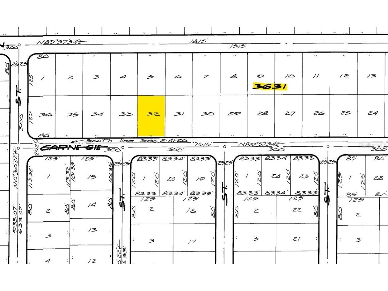
10418 Carnegie Avenue Englewood, FL 34224
For Sale MLS# D6138096
0.23 Acres Lot/Land
Details for 10418 Carnegie Avenue
MLS# D6138096
Description for 10418 Carnegie Avenue, Englewood, FL, 34224
Nice buildable lot in East Englewood FL! Central water and electric available! Not currently in a flood zone so your lender will not require flood insurance when you build your Florida dream home! Currently in Scrub Jay habitat so an additional fee of $4,000 will be required when you build (please reconfirm during due diligence to make sure nothing has changed). Close to shopping, restaurants and just a short drive to area beaches including world famous Boca Grande! Don't wait to grab your slice of paradise now!
Listing Information
Property Type: Lot/Land, Unimproved Land
Status: Active
Lot Size: 0.23 Acres
Subdivision: Port Charlotte Sec 064
Current Use: Unimproved
County: Charlotte
School Information
Elementary: Myakka River Elementary
Middle: L.A. Ainger Middle
High: Lemon Bay High
Utilities
Water: Public
Sewer: Septic Needed
Other Utilities: Electricity Available,Water Available
Exterior / Lot Features
Lot Dimensions: 80x125
Additional Exterior/Lot Features: Flat, Level, Buildable, Outside City Limits
Community Features
Community Features: Park, Tennis Court(s), Playground
Driving Directions
From S McCall Rd go south on Sunnybrook Blvd, Right on Carnegie Ave, property on the right, two lots past the house at 10434 Carnegie Ave.
Financial Considerations
Terms: Cash
Tax/Property ID: 412002480019
Tax Amount: 525.72
Tax Year: 2025
A broker reciprocity listing courtesy: RE/MAX ALLIANCE GROUP
Based on information provided by Stellar MLS as distributed by the MLS GRID. Information from the Internet Data Exchange is provided exclusively for consumers’ personal, non-commercial use, and such information may not be used for any purpose other than to identify prospective properties consumers may be interested in purchasing. This data is deemed reliable but is not guaranteed to be accurate by Edina Realty, Inc., or by the MLS. Edina Realty, Inc., is not a multiple listing service (MLS), nor does it offer MLS access.
Copyright 2026 Stellar MLS as distributed by the MLS GRID. All Rights Reserved.
Payment Calculator
Interest rate and annual percentage rate (APR) are based on current market conditions, are for informational purposes only, are subject to change without notice and may be subject to pricing add-ons related to property type, loan amount, loan-to-value, credit score and other variables. Estimated closing costs used in the APR calculation are assumed to be paid by the borrower at closing. If the closing costs are financed, the loan, APR and payment amounts will be higher. If the down payment is less than 20%, mortgage insurance may be required and could increase the monthly payment and APR. Contact us for details. Additional loan programs may be available. Accuracy is not guaranteed, and all products may not be available in all borrower's geographical areas and are based on their individual situation. This is not a credit decision or a commitment to lend.
Sales History & Tax Summary for 10418 Carnegie Avenue
Sales History
| Date | Price | |
|---|---|---|
| Currently not available. | ||
Tax Summary
| Tax Year | Estimated Market Value | Total Tax |
|---|---|---|
| Currently not available. | ||
Data powered by ATTOM Data Solutions. Copyright© 2026. Information deemed reliable but not guaranteed.
Schools
Schools nearby 10418 Carnegie Avenue
| Schools in attendance boundaries | Grades | Distance | Rating |
|---|---|---|---|
| Loading... | |||
| Schools nearby | Grades | Distance | Rating |
|---|---|---|---|
| Loading... | |||
Data powered by ATTOM Data Solutions. Copyright© 2026. Information deemed reliable but not guaranteed.
The schools shown represent both the assigned schools and schools by distance based on local school and district attendance boundaries. Attendance boundaries change based on various factors and proximity does not guarantee enrollment eligibility. Please consult your real estate agent and/or the school district to confirm the schools this property is zoned to attend. Information is deemed reliable but not guaranteed.
SchoolDigger ® Rating
The SchoolDigger rating system is a 1-5 scale with 5 as the highest rating. SchoolDigger ranks schools based on test scores supplied by each state's Department of Education. They calculate an average standard score by normalizing and averaging each school's test scores across all tests and grades.
Coming soon properties will soon be on the market, but are not yet available for showings.