$24,900
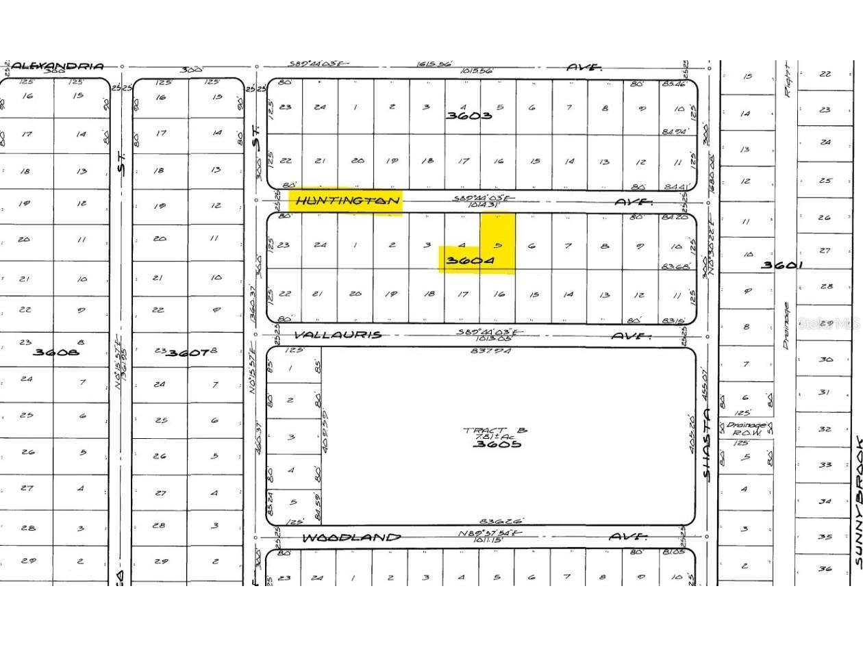
10455 Huntington Avenue Englewood, FL 34224
For Sale MLS# D6139883
0.22 Acres Lot/Land
Details for 10455 Huntington Avenue
MLS# D6139883
Description for 10455 Huntington Avenue, Englewood, FL, 34224
Invest in your future or build your Florida dream home! Central water and electric are available! Not in a flood zone so when you build your new home your lender will not require flood insurance. Lot is currently located in Scrub Jay habitat, which means that at time of permitting, an additional $4,000 will be due.(Please reconfirm during due diligence to see if anything has changed). This property is located in East Englewood, with easy access to Farmers market, golf courses, marinas, great restaurants and just a short drive to area beaches! Don't let this one get???????????????????????????????????????? away!
Listing Information
Property Type: Lot/Land, Unimproved Land
Status: Active
Lot Size: 0.22 Acres
Subdivision: Port Charlotte Sec 062
Current Use: Unimproved
County: Charlotte
School Information
Elementary: Myakka River Elementary
Middle: L.A. Ainger Middle
High: Lemon Bay High
Utilities
Water: Public
Sewer: Septic Needed
Other Utilities: Electricity Available,Phone Available,Water Available
Exterior / Lot Features
Lot Dimensions: 80x125
Additional Exterior/Lot Features: Flat, Level, Wooded, Buildable, Outside City Limits
Driving Directions
S McCall Rd to North on Sunnybrook Blvd, left on Waterford Ave, right on Shasta St, left on Huntington Ave, property on the left, two lots to the right of the house at 10471 Huntington Ave.
Financial Considerations
Terms: Cash
Tax/Property ID: 412002277006
Tax Amount: 522.93
Tax Year: 2025
A broker reciprocity listing courtesy: RE/MAX ALLIANCE GROUP
Based on information provided by Stellar MLS as distributed by the MLS GRID. Information from the Internet Data Exchange is provided exclusively for consumers’ personal, non-commercial use, and such information may not be used for any purpose other than to identify prospective properties consumers may be interested in purchasing. This data is deemed reliable but is not guaranteed to be accurate by Edina Realty, Inc., or by the MLS. Edina Realty, Inc., is not a multiple listing service (MLS), nor does it offer MLS access.
Copyright 2025 Stellar MLS as distributed by the MLS GRID. All Rights Reserved.
Payment Calculator
Interest rate and annual percentage rate (APR) are based on current market conditions, are for informational purposes only, are subject to change without notice and may be subject to pricing add-ons related to property type, loan amount, loan-to-value, credit score and other variables. Estimated closing costs used in the APR calculation are assumed to be paid by the borrower at closing. If the closing costs are financed, the loan, APR and payment amounts will be higher. If the down payment is less than 20%, mortgage insurance may be required and could increase the monthly payment and APR. Contact us for details. Additional loan programs may be available. Accuracy is not guaranteed, and all products may not be available in all borrower's geographical areas and are based on their individual situation. This is not a credit decision or a commitment to lend.
Sales History & Tax Summary for 10455 Huntington Avenue
Sales History
| Date | Price | Change |
|---|---|---|
| Currently not available. | ||
Tax Summary
| Tax Year | Estimated Market Value | Total Tax |
|---|---|---|
| Currently not available. | ||
Data powered by ATTOM Data Solutions. Copyright© 2025. Information deemed reliable but not guaranteed.
Schools
Schools nearby 10455 Huntington Avenue
| Schools in attendance boundaries | Grades | Distance | Rating |
|---|---|---|---|
| Loading... | |||
| Schools nearby | Grades | Distance | Rating |
|---|---|---|---|
| Loading... | |||
Data powered by ATTOM Data Solutions. Copyright© 2025. Information deemed reliable but not guaranteed.
The schools shown represent both the assigned schools and schools by distance based on local school and district attendance boundaries. Attendance boundaries change based on various factors and proximity does not guarantee enrollment eligibility. Please consult your real estate agent and/or the school district to confirm the schools this property is zoned to attend. Information is deemed reliable but not guaranteed.
SchoolDigger ® Rating
The SchoolDigger rating system is a 1-5 scale with 5 as the highest rating. SchoolDigger ranks schools based on test scores supplied by each state's Department of Education. They calculate an average standard score by normalizing and averaging each school's test scores across all tests and grades.
Coming soon properties will soon be on the market, but are not yet available for showings.