$21,000
13449 S County Road 10a Wellborn, FL 32094
For Sale MLS# A4675651
0.50 Acres Lot/Land
Details for 13449 S County Road 10a
MLS# A4675651
Description for 13449 S County Road 10a, Wellborn, FL, 32094
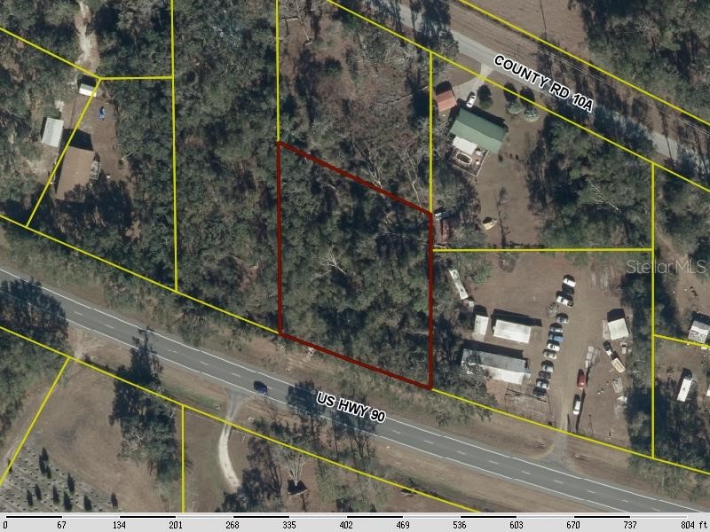
This is an assignment of contract... Positioned in the quiet countryside of Wellborn, this exceptional half-acre homesite at 13449 S County Road 10A offers the ideal balance of privacy, convenience, and long-term value. Located on a paved county road with electricity readily available and situated in an X flood zone, this property provides a solid foundation for building with confidence while enjoying the peaceful rhythm of North Florida living. The setting is open and usable, allowing for a variety of residential design options, whether the vision is a primary residence, a weekend retreat, or a future investment property. The location is both tranquil and strategically connected. Residents enjoy proximity to North Suwannee Elementary School, Suwannee Middle School, and Suwannee High School, all part of the well-regarded Suwannee County School District. Daily conveniences are just minutes away in nearby Live Oak, including Publix Super Market, Walmart Supercenter, and Winn-Dixie, along with local shops and dining. Outdoor enthusiasts will appreciate close access to the Suwannee River State Park, Spirit of the Suwannee Music Park, and Stephen Foster Folk Culture Center State Park, offering kayaking, hiking, cultural events, and year-round recreation. Pet owners will enjoy the Live Oak Dog Park at Heritage Park, providing a dedicated space for exercise and social time. Healthcare needs are well served with Shands Live Oak Regional Medical Center only a short drive away, while larger medical networks are accessible in Gainesville and Tallahassee. Commuting and travel are efficient with quick access to US Highway 90 and Interstate 10, connecting you seamlessly to Jacksonville, Tallahassee, and Gainesville. Jacksonville International Airport, Gainesville Regional Airport, and Tallahassee International Airport are all within comfortable driving distance, making regional and national travel straightforward. This Wellborn property stands out among available lots for its combination of paved access, utilities availability, flood zone advantage, and proximity to both nature and modern conveniences. It is a rare opportunity to secure land that supports a thoughtful build today while offering enduring appeal and flexibility for the future.
Listing Information
Property Type: Lot/Land, Residential
Status: Active
Lot Size: 0.50 Acres
Current Use: Residential,Single Family
County: Suwannee
Utilities
Water: Not Connected, Well, Well Needed
Sewer: Septic Needed
Other Utilities: Electricity Available
Exterior / Lot Features
Lot Dimensions: 197x225
Additional Exterior/Lot Features: Room For Pool, Wooded, Oversized Lot, Outside City Limits
Driving Directions
From 29th Rd Turn right onto S COUNTY ROAD 10A Lot on left
Financial Considerations
Terms: Cash
Tax/Property ID: 27-03S-15E-00651-000000
Tax Amount: 96
Tax Year: 2025
A broker reciprocity listing courtesy: KELLER WILLIAMS ISLAND LIFE REAL ESTATE
Based on information provided by Stellar MLS as distributed by the MLS GRID. Information from the Internet Data Exchange is provided exclusively for consumers’ personal, non-commercial use, and such information may not be used for any purpose other than to identify prospective properties consumers may be interested in purchasing. This data is deemed reliable but is not guaranteed to be accurate by Edina Realty, Inc., or by the MLS. Edina Realty, Inc., is not a multiple listing service (MLS), nor does it offer MLS access.
Copyright 2025 Stellar MLS as distributed by the MLS GRID. All Rights Reserved.
Payment Calculator
Interest rate and annual percentage rate (APR) are based on current market conditions, are for informational purposes only, are subject to change without notice and may be subject to pricing add-ons related to property type, loan amount, loan-to-value, credit score and other variables. Estimated closing costs used in the APR calculation are assumed to be paid by the borrower at closing. If the closing costs are financed, the loan, APR and payment amounts will be higher. If the down payment is less than 20%, mortgage insurance may be required and could increase the monthly payment and APR. Contact us for details. Additional loan programs may be available. Accuracy is not guaranteed, and all products may not be available in all borrower's geographical areas and are based on their individual situation. This is not a credit decision or a commitment to lend.
Sales History & Tax Summary for 13449 S County Road 10a
Sales History
| Date | Price | Change |
|---|---|---|
| Currently not available. | ||
Tax Summary
| Tax Year | Estimated Market Value | Total Tax |
|---|---|---|
| Currently not available. | ||
Data powered by ATTOM Data Solutions. Copyright© 2025. Information deemed reliable but not guaranteed.
Schools
Schools nearby 13449 S County Road 10a
| Schools in attendance boundaries | Grades | Distance | Rating |
|---|---|---|---|
| Loading... | |||
| Schools nearby | Grades | Distance | Rating |
|---|---|---|---|
| Loading... | |||
Data powered by ATTOM Data Solutions. Copyright© 2025. Information deemed reliable but not guaranteed.
The schools shown represent both the assigned schools and schools by distance based on local school and district attendance boundaries. Attendance boundaries change based on various factors and proximity does not guarantee enrollment eligibility. Please consult your real estate agent and/or the school district to confirm the schools this property is zoned to attend. Information is deemed reliable but not guaranteed.
SchoolDigger ® Rating
The SchoolDigger rating system is a 1-5 scale with 5 as the highest rating. SchoolDigger ranks schools based on test scores supplied by each state's Department of Education. They calculate an average standard score by normalizing and averaging each school's test scores across all tests and grades.
Coming soon properties will soon be on the market, but are not yet available for showings.