$120,000
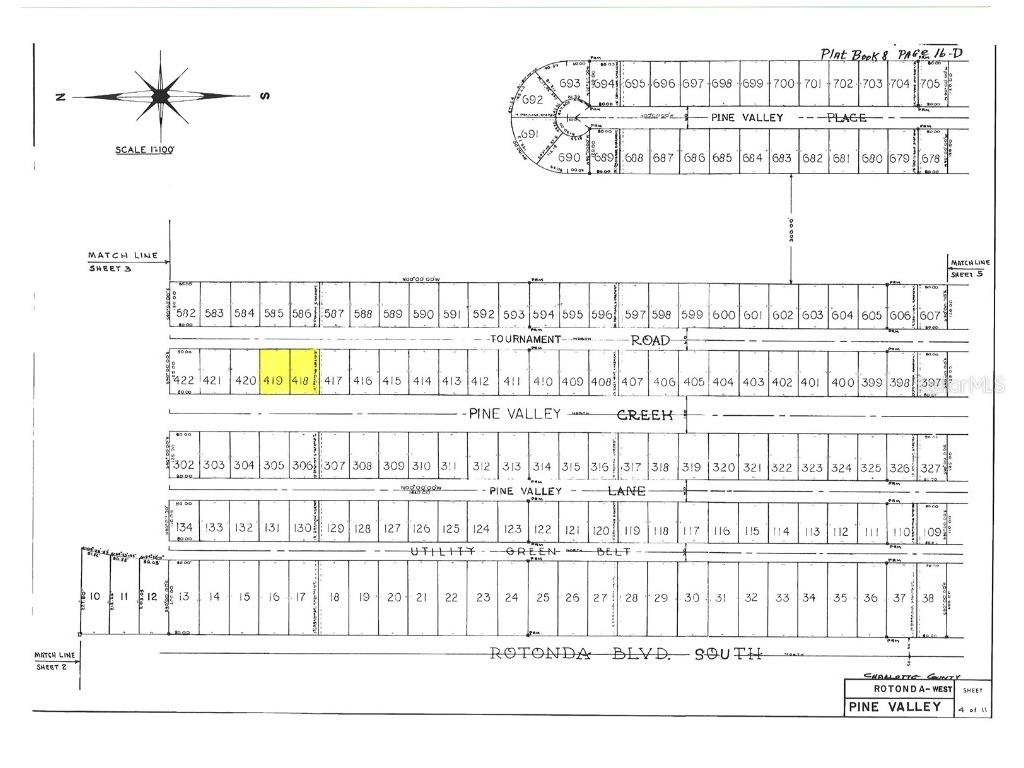
155 & 157 Tournament Road Rotonda West, FL 33947 - PINE VALLEY CREEK
For Sale MLS# D6144017
0.44 Acres Lot/Land
Details for 155 & 157 Tournament Road
MLS# D6144017
Description for 155 & 157 Tournament Road, Rotonda West, FL, 33947 - PINE VALLEY CREEK
Wow…what a perfect opportunity to own these DOUBLE WATERFRONT lots in the Pine Valley section of the deed restricted community of Rotonda West! The HOA Fee is only $380/Annually for both lots! Currently not in a Scrub Jay Habitat per Charlotte County (please reconfirm during due diligence). Central water, sewer and electricity are available. This is an established golf community with 5 golf courses located within minutes of each other. Conveniently located near shopping, restaurants, beaches, fishing and so much more! Invest in this opportunity and build your dream home in Rotonda West!
Listing Information
Property Type: Lot/Land, Unimproved Land
Status: Active
Lot Size: 0.44 Acres
Subdivision: Rotonda West Pine Valley
Current Use: Unimproved
County: Charlotte
School Information
Elementary: Vineland Elementary
Middle: L.A. Ainger Middle
High: Lemon Bay High
Utilities
Water: Public
Sewer: Public Sewer
Other Utilities: Electricity Available,Municipal Utilities,Phone Available,Sewer Available,Water Available
Exterior / Lot Features
Lot View: Canal,Water
Lot Dimensions: 160x120x160x120
Additional Exterior/Lot Features: Flat, Level, Cleared, Buildable, Outside City Limits
Waterfront Details
Standard Water Body: PINE VALLEY CREEK
Water Front Features: Canal Access
Community Features
Community Features: Park, Golf, Tennis Court(s), Playground
HOA Dues Include: Taxes, Association Management, Common Areas
Homeowners Association: Yes
HOA Dues: $380 / Annually
Driving Directions
Take 776/S McCall Road to south on Sunnybrook Boulevard which turns into Rotonda Boulevard N, left on Parade Circle, left on Rotonda Boulevard E, right on Rotonda Circle and right on the 2nd Tournament Road. Property will be on the left. Look for the sign.
Financial Considerations
Terms: Cash
Tax/Property ID: 412025104007
Tax Amount: 2371
Tax Year: 2025
A broker reciprocity listing courtesy: RE/MAX ALLIANCE GROUP
Based on information provided by Stellar MLS as distributed by the MLS GRID. Information from the Internet Data Exchange is provided exclusively for consumers’ personal, non-commercial use, and such information may not be used for any purpose other than to identify prospective properties consumers may be interested in purchasing. This data is deemed reliable but is not guaranteed to be accurate by Edina Realty, Inc., or by the MLS. Edina Realty, Inc., is not a multiple listing service (MLS), nor does it offer MLS access.
Copyright 2026 Stellar MLS as distributed by the MLS GRID. All Rights Reserved.
Payment Calculator
Interest rate and annual percentage rate (APR) are based on current market conditions, are for informational purposes only, are subject to change without notice and may be subject to pricing add-ons related to property type, loan amount, loan-to-value, credit score and other variables. Estimated closing costs used in the APR calculation are assumed to be paid by the borrower at closing. If the closing costs are financed, the loan, APR and payment amounts will be higher. If the down payment is less than 20%, mortgage insurance may be required and could increase the monthly payment and APR. Contact us for details. Additional loan programs may be available. Accuracy is not guaranteed, and all products may not be available in all borrower's geographical areas and are based on their individual situation. This is not a credit decision or a commitment to lend.
Sales History & Tax Summary for 155 & 157 Tournament Road
Sales History
| Date | Price | |
|---|---|---|
| Currently not available. | ||
Tax Summary
| Tax Year | Estimated Market Value | Total Tax |
|---|---|---|
| Currently not available. | ||
Data powered by ATTOM Data Solutions. Copyright© 2026. Information deemed reliable but not guaranteed.
Schools
Schools nearby 155 & 157 Tournament Road
| Schools in attendance boundaries | Grades | Distance | Rating |
|---|---|---|---|
| Loading... | |||
| Schools nearby | Grades | Distance | Rating |
|---|---|---|---|
| Loading... | |||
Data powered by ATTOM Data Solutions. Copyright© 2026. Information deemed reliable but not guaranteed.
The schools shown represent both the assigned schools and schools by distance based on local school and district attendance boundaries. Attendance boundaries change based on various factors and proximity does not guarantee enrollment eligibility. Please consult your real estate agent and/or the school district to confirm the schools this property is zoned to attend. Information is deemed reliable but not guaranteed.
SchoolDigger ® Rating
The SchoolDigger rating system is a 1-5 scale with 5 as the highest rating. SchoolDigger ranks schools based on test scores supplied by each state's Department of Education. They calculate an average standard score by normalizing and averaging each school's test scores across all tests and grades.
Coming soon properties will soon be on the market, but are not yet available for showings.