1639 Jean Lafitte Drive Boca Grande, FL 33921
For Sale MLS# D6144474
0.30 Acres Lot/Land
Details for 1639 Jean Lafitte Drive
MLS# D6144474
Description for 1639 Jean Lafitte Drive, Boca Grande, FL, 33921
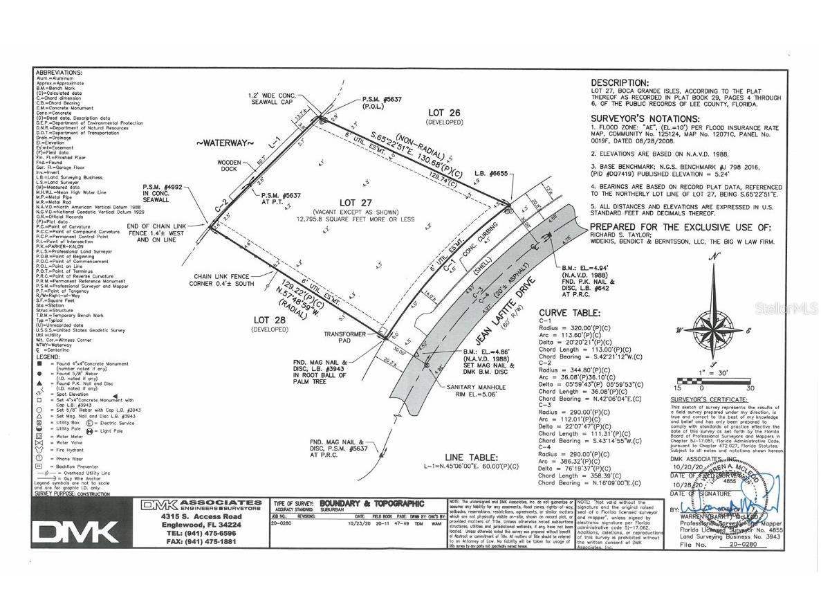
Located within the exclusive, gated community of Boca Grande Isles, this expansive western-facing waterfront homesite presents an unparalleled opportunity to create your coastal dream retreat. The property boasts 96 feet of direct water frontage on approximately 0.30 acres and offers seamless access to the Intracoastal Waterway and the Gulf without obstructing bridges. Conceptual house plans designed by the renowned architectural firm, Stofft Cooney, are available for both a one-story and two-story design, along with a current survey and a comprehensive site study to inspire your vision. Essential utilities, including electricity, sewer, and water, are in place, and the property has undergone extensive site preparation to ensure a smooth building process. A concrete seawall and a picturesque wooden dock provide immediate water access, while recent landscaping enhances privacy and natural beauty. Just moments from Boca Grande’s historic village, pristine beaches, and renowned boating community, this exceptional homesite is the perfect setting for an elegant island retreat. The listing agent is the owner.
Listing Information
Property Type: Lot/Land, Residential
Status: Active
Lot Size: 0.30 Acres
Subdivision: Boca Grande Isles
Current Use: Residential,Single Family
County: Lee
Utilities
Water: Public
Sewer: Public Sewer
Other Utilities: Electricity Available,High Speed Internet Available,Sewer Available,Water Available
Exterior / Lot Features
Lot View: Canal,Water
Lot Dimensions: 113x129x96x130
Additional Exterior/Lot Features: Cleared, Buildable, Outside City Limits
Waterfront Details
Water Front Features: Canal Access
Community Features
Community Features: Gated
Security Features: Gated Community
Association Amenities: Gated, Security
Homeowners Association: Yes
HOA Dues: $1,650 / Annually
Driving Directions
South over the Boca Grande Causeway, turn left on 18th Street, right on East Railroad, left on 16th Street and over the bridge and into the Boca Grande Isles Neighborhood. Turn left after the guard shack on Jose Gaspar Drive. Turn right on Jean Lafitte Street. Lot is on the right.
Financial Considerations
Tax/Property ID: 11-43-20-05-00000.0270
Tax Amount: 31237
Tax Year: 2024
A broker reciprocity listing courtesy: GULF TO BAY SOTHEBY'S INTERNATIONAL
Based on information provided by Stellar MLS as distributed by the MLS GRID. Information from the Internet Data Exchange is provided exclusively for consumers’ personal, non-commercial use, and such information may not be used for any purpose other than to identify prospective properties consumers may be interested in purchasing. This data is deemed reliable but is not guaranteed to be accurate by Edina Realty, Inc., or by the MLS. Edina Realty, Inc., is not a multiple listing service (MLS), nor does it offer MLS access.
Copyright 2026 Stellar MLS as distributed by the MLS GRID. All Rights Reserved.
Payment Calculator
Interest rate and annual percentage rate (APR) are based on current market conditions, are for informational purposes only, are subject to change without notice and may be subject to pricing add-ons related to property type, loan amount, loan-to-value, credit score and other variables. Estimated closing costs used in the APR calculation are assumed to be paid by the borrower at closing. If the closing costs are financed, the loan, APR and payment amounts will be higher. If the down payment is less than 20%, mortgage insurance may be required and could increase the monthly payment and APR. Contact us for details. Additional loan programs may be available. Accuracy is not guaranteed, and all products may not be available in all borrower's geographical areas and are based on their individual situation. This is not a credit decision or a commitment to lend.
Sales History & Tax Summary for 1639 Jean Lafitte Drive
Sales History
| Date | Price | |
|---|---|---|
| Currently not available. | ||
Tax Summary
| Tax Year | Estimated Market Value | Total Tax |
|---|---|---|
| Currently not available. | ||
Data powered by ATTOM Data Solutions. Copyright© 2026. Information deemed reliable but not guaranteed.
Schools
Schools nearby 1639 Jean Lafitte Drive
| Schools in attendance boundaries | Grades | Distance | Rating |
|---|---|---|---|
| Loading... | |||
| Schools nearby | Grades | Distance | Rating |
|---|---|---|---|
| Loading... | |||
Data powered by ATTOM Data Solutions. Copyright© 2026. Information deemed reliable but not guaranteed.
The schools shown represent both the assigned schools and schools by distance based on local school and district attendance boundaries. Attendance boundaries change based on various factors and proximity does not guarantee enrollment eligibility. Please consult your real estate agent and/or the school district to confirm the schools this property is zoned to attend. Information is deemed reliable but not guaranteed.
SchoolDigger ® Rating
The SchoolDigger rating system is a 1-5 scale with 5 as the highest rating. SchoolDigger ranks schools based on test scores supplied by each state's Department of Education. They calculate an average standard score by normalizing and averaging each school's test scores across all tests and grades.
Coming soon properties will soon be on the market, but are not yet available for showings.