$65,000
1815 Johns Avenue Lehigh Acres, FL 33972
For Sale MLS# 2025014322
1 Acres Lot/Land
Details for 1815 Johns Avenue
MLS# 2025014322
Description for 1815 Johns Avenue, Lehigh Acres, FL, 33972
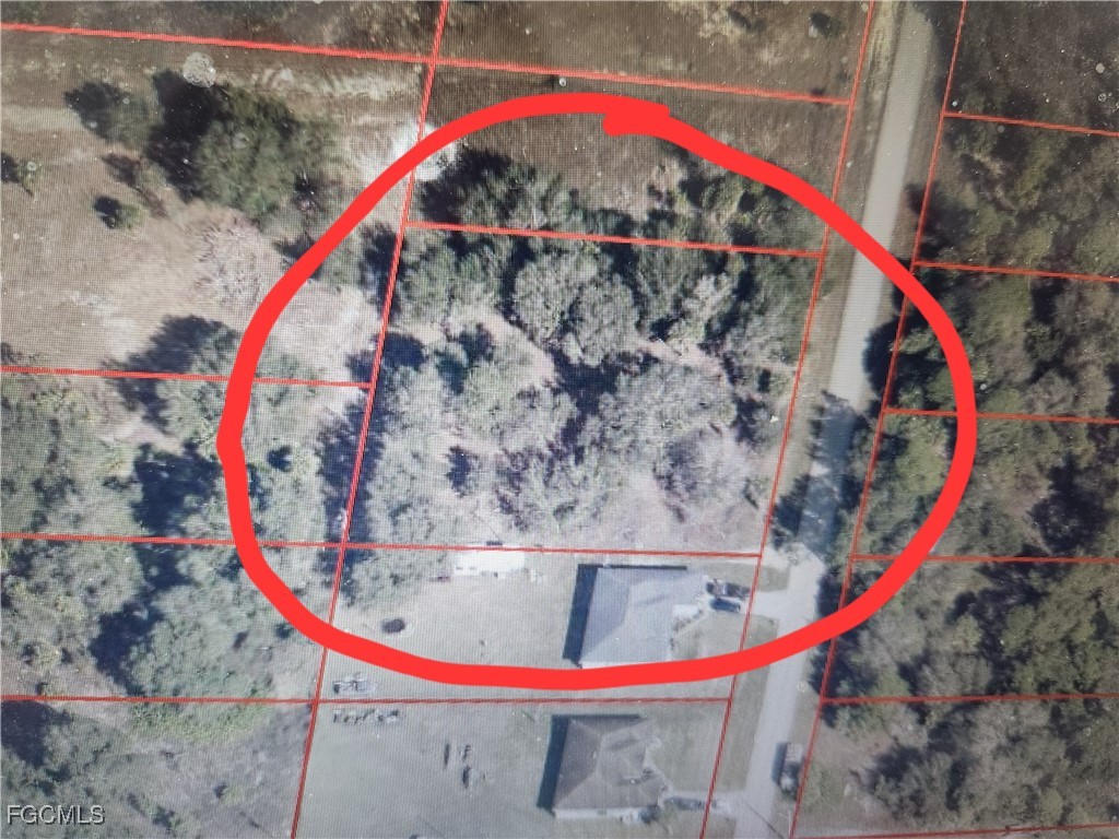
NOT A FLOOD ZONE, NOT IN WETLANDS LOT IN THE COUNTRY! Beautiful lot located in the desirable area of Joel blvd area .This is just 5 minutes to Road 80 (palm beach blvd). This great investment property would be perfect for a new home in Lehigh Acres without HOA fees in 1 acre of land. Great neighborhood with quiet and wooded streets for that country feel. Take a drive down to this peaceful street away from all of the hustle of the city. MOTIVATED SELLERS , HURRY UP BRING YOUR OFFER!
Listing Information
Property Type: Lot/Land, Acreage
Status: Active
Lot Size: 1 Acres
Subdivision: Lehigh Acres
Current Use: Single Family
County: Lee
Days On Market: 63
Utilities
Water: Well
Sewer: Septic Tank
Other Utilities: Cable Available,Electricity Available,Sewer Available,Water Available
Exterior / Lot Features
Lot View: Trees/Woods
Lot Dimensions: 210 x 208 x 210 x 208
Zoning: RS-1
Additional Exterior/Lot Features: Acreage, Oversized Lot, Rectangular Lot
Community Features
Community Features: Non-Gated
Financial Considerations
Terms: Cash
Tax/Property ID: 12-44-27-L1-07025.0200
Tax Amount: 712.4
Tax Year: 2024
A broker reciprocity listing courtesy: Realty Hub
Based on information provided by FGCMLS. Internet Data Exchange information is provided exclusively for consumers’ personal, non-commercial use, and such information may not be used for any purpose other than to identify prospective properties consumers may be interested in purchasing. This data is deemed reliable but is not guaranteed to be accurate by Edina Realty, Inc., or by the MLS. Edina Realty, Inc., is not a multiple listing service (MLS), nor does it offer MLS access.
Copyright 2025 FGCMLS. All Rights Reserved.
Payment Calculator
Interest rate and annual percentage rate (APR) are based on current market conditions, are for informational purposes only, are subject to change without notice and may be subject to pricing add-ons related to property type, loan amount, loan-to-value, credit score and other variables. Estimated closing costs used in the APR calculation are assumed to be paid by the borrower at closing. If the closing costs are financed, the loan, APR and payment amounts will be higher. If the down payment is less than 20%, mortgage insurance may be required and could increase the monthly payment and APR. Contact us for details. Additional loan programs may be available. Accuracy is not guaranteed, and all products may not be available in all borrower's geographical areas and are based on their individual situation. This is not a credit decision or a commitment to lend.
Sales History & Tax Summary for 1815 Johns Avenue
Sales History
| Date | Price | Change |
|---|---|---|
| Currently not available. | ||
Tax Summary
| Tax Year | Estimated Market Value | Total Tax |
|---|---|---|
| Currently not available. | ||
Data powered by ATTOM Data Solutions. Copyright© 2025. Information deemed reliable but not guaranteed.
Schools
Schools nearby 1815 Johns Avenue
| Schools in attendance boundaries | Grades | Distance | Rating |
|---|---|---|---|
| Loading... | |||
| Schools nearby | Grades | Distance | Rating |
|---|---|---|---|
| Loading... | |||
Data powered by ATTOM Data Solutions. Copyright© 2025. Information deemed reliable but not guaranteed.
The schools shown represent both the assigned schools and schools by distance based on local school and district attendance boundaries. Attendance boundaries change based on various factors and proximity does not guarantee enrollment eligibility. Please consult your real estate agent and/or the school district to confirm the schools this property is zoned to attend. Information is deemed reliable but not guaranteed.
SchoolDigger ® Rating
The SchoolDigger rating system is a 1-5 scale with 5 as the highest rating. SchoolDigger ranks schools based on test scores supplied by each state's Department of Education. They calculate an average standard score by normalizing and averaging each school's test scores across all tests and grades.
Coming soon properties will soon be on the market, but are not yet available for showings.