$179,000
2400 Princeton Sanford, FL 32771
For Sale MLS# O6389545
1.30 Acres Lot/Land
Details for 2400 Princeton
MLS# O6389545
Description for 2400 Princeton, Sanford, FL, 32771
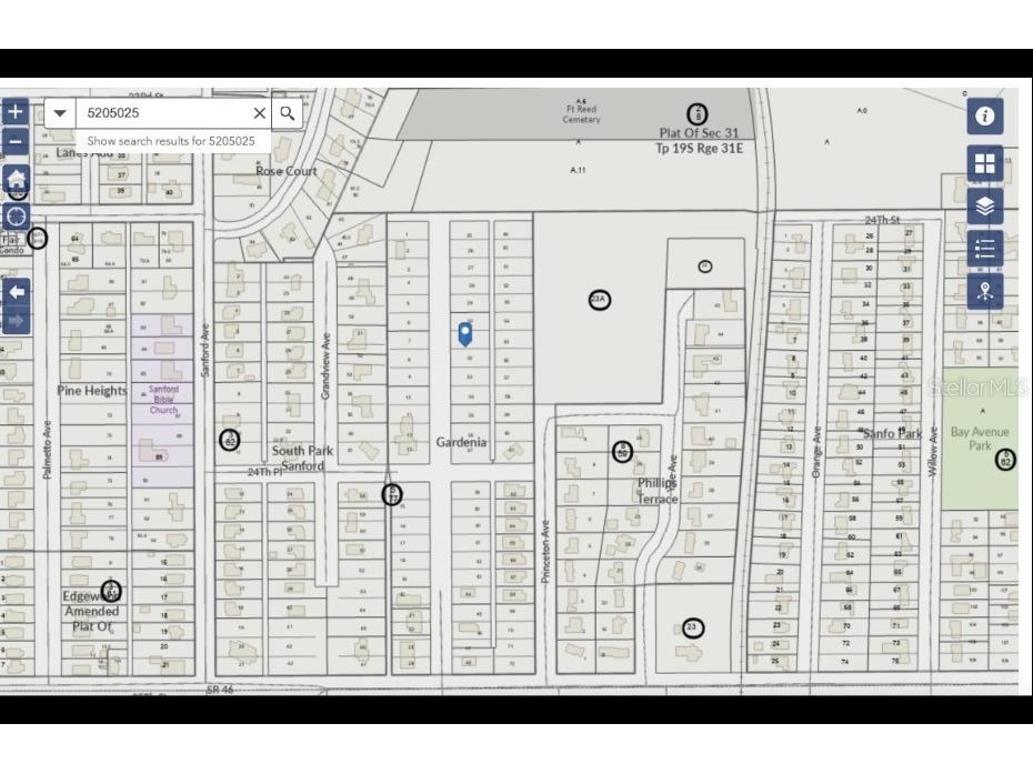
Opportunity awaits with this 15-parcel wooded property (31-19-31-518-0000-0300 parcel Id for additional 5 lots)offering natural privacy and a peaceful setting. The land is largely wooded and located within a wetland area, creating a quiet environment ideal for nature lovers, recreation, or long-term land investment. Preliminary information suggests one parcel may potentially be buildable, but buyers are encouraged to perform their own due diligence with the county regarding zoning, wetlands, and building feasibility. With multiple parcels included, this property presents a unique chance to own a large piece of land with future possibilities.
Listing Information
Property Type: Lot/Land, Unimproved Land
Status: Active
Lot Size: 1.30 Acres
Current Use: Unimproved
County: Seminole
Utilities
Sewer: Septic Needed
Other Utilities: Other,Water Not Available
Exterior / Lot Features
Lot Dimensions: 514 x 110
Additional Exterior/Lot Features: Wooded, Wetlands, Rural Lot, Trees, Outside City Limits
Driving Directions
From Interstate 4 (I-4): 1. Take Exit 104 from I-4. 2. Head north on US-17/92 toward Sanford. 3. Turn right onto E 25th St / Hwy 46. 4. Turn right onto Princeton Ave. 5. Continue down Princeton Ave until you reach 2400 Princeton Ave on the street.
Financial Considerations
Tax/Property ID: 31-19-31-518-0000-0490
Tax Amount: 771.83
Tax Year: 2025
A broker reciprocity listing courtesy: OLDE TOWN BROKERS INC
Based on information provided by Stellar MLS as distributed by the MLS GRID. Information from the Internet Data Exchange is provided exclusively for consumers’ personal, non-commercial use, and such information may not be used for any purpose other than to identify prospective properties consumers may be interested in purchasing. This data is deemed reliable but is not guaranteed to be accurate by Edina Realty, Inc., or by the MLS. Edina Realty, Inc., is not a multiple listing service (MLS), nor does it offer MLS access.
Copyright 2026 Stellar MLS as distributed by the MLS GRID. All Rights Reserved.
Payment Calculator
Interest rate and annual percentage rate (APR) are based on current market conditions, are for informational purposes only, are subject to change without notice and may be subject to pricing add-ons related to property type, loan amount, loan-to-value, credit score and other variables. Estimated closing costs used in the APR calculation are assumed to be paid by the borrower at closing. If the closing costs are financed, the loan, APR and payment amounts will be higher. If the down payment is less than 20%, mortgage insurance may be required and could increase the monthly payment and APR. Contact us for details. Additional loan programs may be available. Accuracy is not guaranteed, and all products may not be available in all borrower's geographical areas and are based on their individual situation. This is not a credit decision or a commitment to lend.
Sales History & Tax Summary for 2400 Princeton
Sales History
| Date | Price | |
|---|---|---|
| Currently not available. | ||
Tax Summary
| Tax Year | Estimated Market Value | Total Tax |
|---|---|---|
| Currently not available. | ||
Data powered by ATTOM Data Solutions. Copyright© 2026. Information deemed reliable but not guaranteed.
Schools
Schools nearby 2400 Princeton
| Schools in attendance boundaries | Grades | Distance | Rating |
|---|---|---|---|
| Loading... | |||
| Schools nearby | Grades | Distance | Rating |
|---|---|---|---|
| Loading... | |||
Data powered by ATTOM Data Solutions. Copyright© 2026. Information deemed reliable but not guaranteed.
The schools shown represent both the assigned schools and schools by distance based on local school and district attendance boundaries. Attendance boundaries change based on various factors and proximity does not guarantee enrollment eligibility. Please consult your real estate agent and/or the school district to confirm the schools this property is zoned to attend. Information is deemed reliable but not guaranteed.
SchoolDigger ® Rating
The SchoolDigger rating system is a 1-5 scale with 5 as the highest rating. SchoolDigger ranks schools based on test scores supplied by each state's Department of Education. They calculate an average standard score by normalizing and averaging each school's test scores across all tests and grades.
Coming soon properties will soon be on the market, but are not yet available for showings.