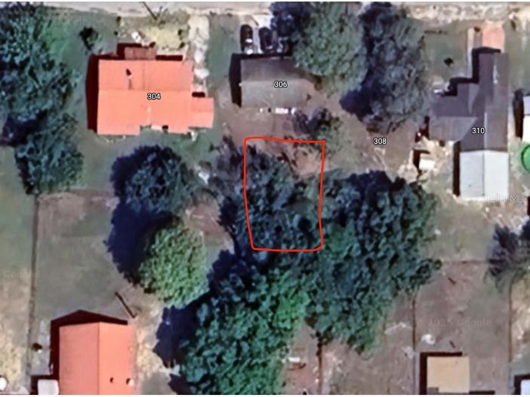
306 Fred Conner Street Avon Park, FL 33825
For Sale MLS# P4934330
0.09 Acres Lot/Land
Details for 306 Fred Conner Street
MLS# P4934330
Description for 306 Fred Conner Street, Avon Park, FL, 33825
Discover an excellent opportunity to own a vacant lot at 306 Fred Conner Street, Avon Park, FL 33825-4604. Located in a quiet and established neighborhood, this property offers the perfect setting to build your dream home or invest in future development. Situated in the heart of Avon Park, this lot provides convenient access to local amenities, shopping, dining, and recreational areas. Whether you're looking for a peaceful residential spot or an investment opportunity, this well-positioned lot is a fantastic choice. Don’t miss out on this chance to own a piece of Florida real estate—contact us today for more details!
Listing Information
Property Type: Lot/Land, Residential
Status: Active
Lot Size: 0.09 Acres
Subdivision: Hatchells Sub
Current Use: Residential,Single Family
County: Highlands
Utilities
Water: Public
Sewer: Public Sewer
Other Utilities: Cable Available,Electricity Available,Sewer Available,Water Available
Exterior / Lot Features
Lot Dimensions: 55x68
Driving Directions
Head south on US-27 S/US-98 S/US Hwy 27 N toward W Stryker Rd. Turn left onto W Main St. Turn right onto Memorial Dr. Continue straight to stay on Memorial Dr. Turn right onto Fred Conner St
Financial Considerations
Terms: Cash,Conventional,FHA,VA Loan
Tax/Property ID: A-26-33-28-030-0020-0081
Tax Amount: 14.88
Tax Year: 2024
A broker reciprocity listing courtesy: KELLER WILLIAMS REALTY SMART 1
Based on information provided by Stellar MLS as distributed by the MLS GRID. Information from the Internet Data Exchange is provided exclusively for consumers’ personal, non-commercial use, and such information may not be used for any purpose other than to identify prospective properties consumers may be interested in purchasing. This data is deemed reliable but is not guaranteed to be accurate by Edina Realty, Inc., or by the MLS. Edina Realty, Inc., is not a multiple listing service (MLS), nor does it offer MLS access.
Copyright 2025 Stellar MLS as distributed by the MLS GRID. All Rights Reserved.
Payment Calculator
Interest rate and annual percentage rate (APR) are based on current market conditions, are for informational purposes only, are subject to change without notice and may be subject to pricing add-ons related to property type, loan amount, loan-to-value, credit score and other variables. Estimated closing costs used in the APR calculation are assumed to be paid by the borrower at closing. If the closing costs are financed, the loan, APR and payment amounts will be higher. If the down payment is less than 20%, mortgage insurance may be required and could increase the monthly payment and APR. Contact us for details. Additional loan programs may be available. Accuracy is not guaranteed, and all products may not be available in all borrower's geographical areas and are based on their individual situation. This is not a credit decision or a commitment to lend.
Sales History & Tax Summary for 306 Fred Conner Street
Sales History
| Date | Price | Change |
|---|---|---|
| Currently not available. | ||
Tax Summary
| Tax Year | Estimated Market Value | Total Tax |
|---|---|---|
| Currently not available. | ||
Data powered by ATTOM Data Solutions. Copyright© 2025. Information deemed reliable but not guaranteed.
Schools
Schools nearby 306 Fred Conner Street
| Schools in attendance boundaries | Grades | Distance | Rating |
|---|---|---|---|
| Loading... | |||
| Schools nearby | Grades | Distance | Rating |
|---|---|---|---|
| Loading... | |||
Data powered by ATTOM Data Solutions. Copyright© 2025. Information deemed reliable but not guaranteed.
The schools shown represent both the assigned schools and schools by distance based on local school and district attendance boundaries. Attendance boundaries change based on various factors and proximity does not guarantee enrollment eligibility. Please consult your real estate agent and/or the school district to confirm the schools this property is zoned to attend. Information is deemed reliable but not guaranteed.
SchoolDigger ® Rating
The SchoolDigger rating system is a 1-5 scale with 5 as the highest rating. SchoolDigger ranks schools based on test scores supplied by each state's Department of Education. They calculate an average standard score by normalizing and averaging each school's test scores across all tests and grades.
Coming soon properties will soon be on the market, but are not yet available for showings.