$6,500
6786 Neighborly Court North Port, FL 34287
For Sale MLS# C7512333
0.11 Acres Lot/Land
Details for 6786 Neighborly Court
MLS# C7512333
Description for 6786 Neighborly Court, North Port, FL, 34287
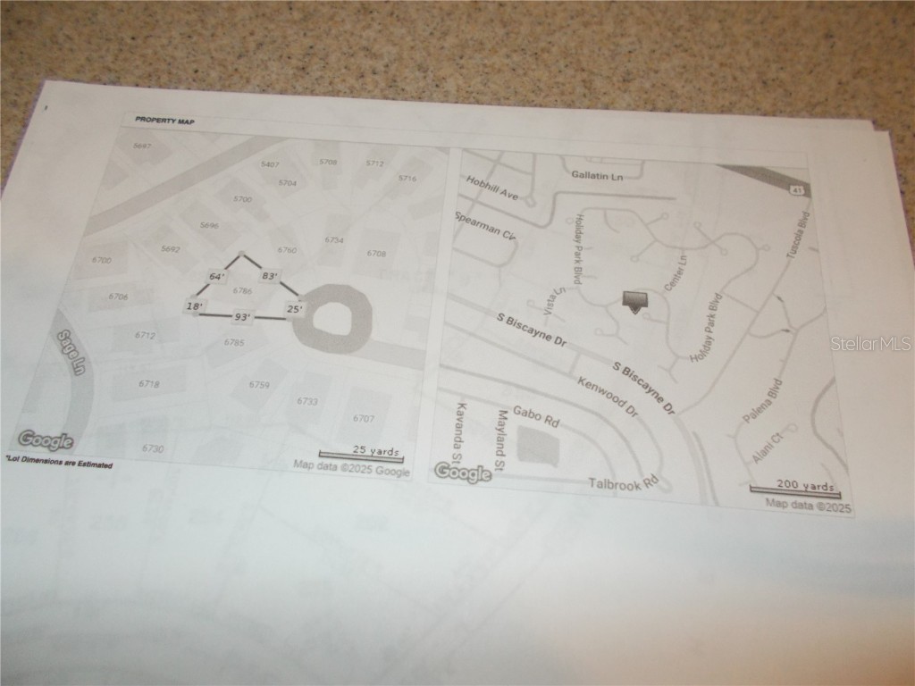
Vacant land in sought after Gated Community of Holiday Park, and in the Pet Section. In Holiday Park you own the land with a deed and the maintenance fee of $195.00 monthly ($2340.00 a year) is included in your taxes. This lot measuring 4662 sq ft. is in a cul-de-sac. The driveway has been left. Holiday Park offers many amenities including 2 Pools, Tennis Courts, Pickle Ball, Bocci, Shuffleboard, Laundry, Library, Tennis, Horseshoes, Bingo plus other card games, Fitness Room and so much more. This is a perfect place for your new manufactured home. Come and see!
Listing Information
Property Type: Lot/Land, Unimproved Land
Status: Active
Lot Size: 0.11 Acres
Subdivision: Holiday Park
Current Use: Unimproved
County: Sarasota
Utilities
Water: Public
Sewer: Public Sewer
Other Utilities: Cable Available,Electricity Available,Sewer Connected,Water Available
Exterior / Lot Features
Pool: Community, Association
Lot Dimensions: 25X83X64X18X93
Additional Exterior/Lot Features: Cul-de-Sac, Cleared
Community Features
Community Features: Pool, Tennis Court(s), Street Lights, Gated, Fitness, Golf Carts OK, Recreation Area
Security Features: Gated Community
Association Amenities: Shuffleboard Court, Pickleball, Recreation Facilities, Pool, Fitness Center, Security, Laundry, Gated
HOA Dues Include: Maintenance Grounds, Association Management, Security, Recreation Facilities, Pool(s), Road Maintenance
Homeowners Association: Yes
HOA Dues: $5 / Annually
Driving Directions
US 41 to Tuscola Blvd., (across from Lowes). Go thru gate and make the first right onto Holiday Pkwy. Turn left at stop sign onto Holiday Park Blvd and left onto Neighborly Court.
Financial Considerations
Terms: Cash
Tax/Property ID: 1000030041
Tax Amount: 2916.59
Tax Year: 2024
A broker reciprocity listing courtesy: COLDWELL BANKER SUNSTAR REALTY
Based on information provided by Stellar MLS as distributed by the MLS GRID. Information from the Internet Data Exchange is provided exclusively for consumers’ personal, non-commercial use, and such information may not be used for any purpose other than to identify prospective properties consumers may be interested in purchasing. This data is deemed reliable but is not guaranteed to be accurate by Edina Realty, Inc., or by the MLS. Edina Realty, Inc., is not a multiple listing service (MLS), nor does it offer MLS access.
Copyright 2025 Stellar MLS as distributed by the MLS GRID. All Rights Reserved.
Payment Calculator
Interest rate and annual percentage rate (APR) are based on current market conditions, are for informational purposes only, are subject to change without notice and may be subject to pricing add-ons related to property type, loan amount, loan-to-value, credit score and other variables. Estimated closing costs used in the APR calculation are assumed to be paid by the borrower at closing. If the closing costs are financed, the loan, APR and payment amounts will be higher. If the down payment is less than 20%, mortgage insurance may be required and could increase the monthly payment and APR. Contact us for details. Additional loan programs may be available. Accuracy is not guaranteed, and all products may not be available in all borrower's geographical areas and are based on their individual situation. This is not a credit decision or a commitment to lend.
Sales History & Tax Summary for 6786 Neighborly Court
Sales History
| Date | Price | Change |
|---|---|---|
| Currently not available. | ||
Tax Summary
| Tax Year | Estimated Market Value | Total Tax |
|---|---|---|
| Currently not available. | ||
Data powered by ATTOM Data Solutions. Copyright© 2025. Information deemed reliable but not guaranteed.
Schools
Schools nearby 6786 Neighborly Court
| Schools in attendance boundaries | Grades | Distance | Rating |
|---|---|---|---|
| Loading... | |||
| Schools nearby | Grades | Distance | Rating |
|---|---|---|---|
| Loading... | |||
Data powered by ATTOM Data Solutions. Copyright© 2025. Information deemed reliable but not guaranteed.
The schools shown represent both the assigned schools and schools by distance based on local school and district attendance boundaries. Attendance boundaries change based on various factors and proximity does not guarantee enrollment eligibility. Please consult your real estate agent and/or the school district to confirm the schools this property is zoned to attend. Information is deemed reliable but not guaranteed.
SchoolDigger ® Rating
The SchoolDigger rating system is a 1-5 scale with 5 as the highest rating. SchoolDigger ranks schools based on test scores supplied by each state's Department of Education. They calculate an average standard score by normalizing and averaging each school's test scores across all tests and grades.
Coming soon properties will soon be on the market, but are not yet available for showings.