$1,500,000
6910 NW 35th Avenue Road Ocala, FL 34475
For Sale MLS# OM709357
43.71 Acres Lot/Land
Details for 6910 NW 35th Avenue Road
MLS# OM709357
Description for 6910 NW 35th Avenue Road, Ocala, FL, 34475
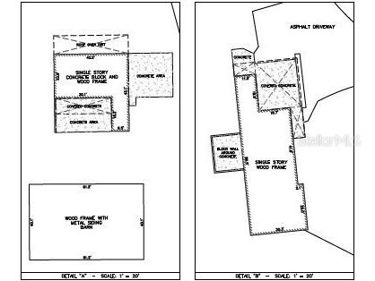
Two Parcels 43.71 Acres total, Land Use Commerce District. Property is located in close proximity to newly approved I75 interchange. Property is fully fenced 2X4/ field wire barbed across the top. There is an old house on the property considered to have no value but could be rehab to an office, metal building and pole barn on the property. Previously mined property, fully reclaimed and soil density tests available.
Listing Information
Property Type: Lot/Land, Other
Status: Active
Lot Size: 43.71 Acres
Subdivision: Na
Current Use: Other
County: Marion
Utilities
Water: Well
Sewer: Septic Tank
Other Utilities: Electricity Available
Exterior / Lot Features
Lot View: Trees/Woods
Lot Dimensions: X
Fencing: Barbed Wire, Wire, Wood
Additional Exterior/Lot Features: Outside City Limits
Out Buildings: Barn(s), Other
Driving Directions
North on HWY 441/301/Pine, L on NW 35th St, R on NW 16th Ave/Gainesville Rd, L on NW 70th St, Cross Railroad tracks ,property straight ahead.
Financial Considerations
Terms: Cash,Conventional
Tax/Property ID: 13236-001-00
Tax Amount: 938.07
Tax Year: 2024
A broker reciprocity listing courtesy: COLDWELL BANKER ELLISON REALTY O
Based on information provided by Stellar MLS as distributed by the MLS GRID. Information from the Internet Data Exchange is provided exclusively for consumers’ personal, non-commercial use, and such information may not be used for any purpose other than to identify prospective properties consumers may be interested in purchasing. This data is deemed reliable but is not guaranteed to be accurate by Edina Realty, Inc., or by the MLS. Edina Realty, Inc., is not a multiple listing service (MLS), nor does it offer MLS access.
Copyright 2026 Stellar MLS as distributed by the MLS GRID. All Rights Reserved.
Payment Calculator
Interest rate and annual percentage rate (APR) are based on current market conditions, are for informational purposes only, are subject to change without notice and may be subject to pricing add-ons related to property type, loan amount, loan-to-value, credit score and other variables. Estimated closing costs used in the APR calculation are assumed to be paid by the borrower at closing. If the closing costs are financed, the loan, APR and payment amounts will be higher. If the down payment is less than 20%, mortgage insurance may be required and could increase the monthly payment and APR. Contact us for details. Additional loan programs may be available. Accuracy is not guaranteed, and all products may not be available in all borrower's geographical areas and are based on their individual situation. This is not a credit decision or a commitment to lend.
Sales History & Tax Summary for 6910 NW 35th Avenue Road
Sales History
| Date | Price | |
|---|---|---|
| Currently not available. | ||
Tax Summary
| Tax Year | Estimated Market Value | Total Tax |
|---|---|---|
| Currently not available. | ||
Data powered by ATTOM Data Solutions. Copyright© 2026. Information deemed reliable but not guaranteed.
Schools
Schools nearby 6910 NW 35th Avenue Road
| Schools in attendance boundaries | Grades | Distance | Rating |
|---|---|---|---|
| Loading... | |||
| Schools nearby | Grades | Distance | Rating |
|---|---|---|---|
| Loading... | |||
Data powered by ATTOM Data Solutions. Copyright© 2026. Information deemed reliable but not guaranteed.
The schools shown represent both the assigned schools and schools by distance based on local school and district attendance boundaries. Attendance boundaries change based on various factors and proximity does not guarantee enrollment eligibility. Please consult your real estate agent and/or the school district to confirm the schools this property is zoned to attend. Information is deemed reliable but not guaranteed.
SchoolDigger ® Rating
The SchoolDigger rating system is a 1-5 scale with 5 as the highest rating. SchoolDigger ranks schools based on test scores supplied by each state's Department of Education. They calculate an average standard score by normalizing and averaging each school's test scores across all tests and grades.
Coming soon properties will soon be on the market, but are not yet available for showings.