8808 N Deltona Boulevard Citrus Springs, FL 34434
For Sale MLS# OM698496
5.25 Acres Lot/Land
Details for 8808 N Deltona Boulevard
MLS# OM698496
Description for 8808 N Deltona Boulevard, Citrus Springs, FL, 34434
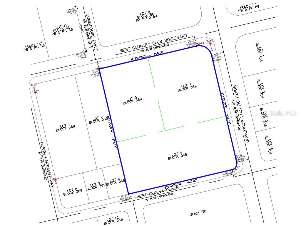
Discover the exceptional opportunity presented by this expansive 5.25-acre lot located on N Deltona Blvd in the charming community of Citrus Springs. Currently zoned for recreational use, this versatile property offers a wide range of possibilities for various activities and can be easily rezoned for medical use, making it an ideal site for a medical facility or office. With its prominent position along a main road, the lot boasts an impressive curb appeal that enhances visibility and accessibility. We have the following documents available for review: Boundary Survey, Utility Plan, Landscape Code Plan, Site Plan, Soil Profiles & Permeability Testing, Tree Survey, and plans for a Gymnasium. Don't miss your chance to capitalize on this prime location that combines potential for growth with the beauty of Citrus Springs.
Listing Information
Property Type: Lot/Land, Other
Status: Active
Lot Size: 5.25 Acres
Subdivision: Citrus Spgs Unit 04
Current Use: Other
County: Citrus
Utilities
Water: Public
Sewer: Septic Needed
Other Utilities: Sewer Available,Water Available
Exterior / Lot Features
Lot Dimensions: 510x450
Additional Exterior/Lot Features: Corner Lot
Driving Directions
From N Florida Ave (Hwy 41), turn right on N Lecanto Hwy (491). Turn right on N Deltona Blvd, property is on the right.
Financial Considerations
Terms: Cash,Conventional
Tax/Property ID: 18E-17S-10-0040-03690-0050
Tax Amount: 1903.1
Tax Year: 2024
A broker reciprocity listing courtesy: SELLSTATE NGR-INVERNESS
Based on information provided by Stellar MLS as distributed by the MLS GRID. Information from the Internet Data Exchange is provided exclusively for consumers’ personal, non-commercial use, and such information may not be used for any purpose other than to identify prospective properties consumers may be interested in purchasing. This data is deemed reliable but is not guaranteed to be accurate by Edina Realty, Inc., or by the MLS. Edina Realty, Inc., is not a multiple listing service (MLS), nor does it offer MLS access.
Copyright 2026 Stellar MLS as distributed by the MLS GRID. All Rights Reserved.
Payment Calculator
Interest rate and annual percentage rate (APR) are based on current market conditions, are for informational purposes only, are subject to change without notice and may be subject to pricing add-ons related to property type, loan amount, loan-to-value, credit score and other variables. Estimated closing costs used in the APR calculation are assumed to be paid by the borrower at closing. If the closing costs are financed, the loan, APR and payment amounts will be higher. If the down payment is less than 20%, mortgage insurance may be required and could increase the monthly payment and APR. Contact us for details. Additional loan programs may be available. Accuracy is not guaranteed, and all products may not be available in all borrower's geographical areas and are based on their individual situation. This is not a credit decision or a commitment to lend.
Sales History & Tax Summary for 8808 N Deltona Boulevard
Sales History
| Date | Price | |
|---|---|---|
| Currently not available. | ||
Tax Summary
| Tax Year | Estimated Market Value | Total Tax |
|---|---|---|
| Currently not available. | ||
Data powered by ATTOM Data Solutions. Copyright© 2026. Information deemed reliable but not guaranteed.
Schools
Schools nearby 8808 N Deltona Boulevard
| Schools in attendance boundaries | Grades | Distance | Rating |
|---|---|---|---|
| Loading... | |||
| Schools nearby | Grades | Distance | Rating |
|---|---|---|---|
| Loading... | |||
Data powered by ATTOM Data Solutions. Copyright© 2026. Information deemed reliable but not guaranteed.
The schools shown represent both the assigned schools and schools by distance based on local school and district attendance boundaries. Attendance boundaries change based on various factors and proximity does not guarantee enrollment eligibility. Please consult your real estate agent and/or the school district to confirm the schools this property is zoned to attend. Information is deemed reliable but not guaranteed.
SchoolDigger ® Rating
The SchoolDigger rating system is a 1-5 scale with 5 as the highest rating. SchoolDigger ranks schools based on test scores supplied by each state's Department of Education. They calculate an average standard score by normalizing and averaging each school's test scores across all tests and grades.
Coming soon properties will soon be on the market, but are not yet available for showings.