Dill Road Orlando, FL 32820
For Sale MLS# O6330631
2.52 Acres Lot/Land
Details for Dill Road
MLS# O6330631
Description for Dill Road, Orlando, FL, 32820
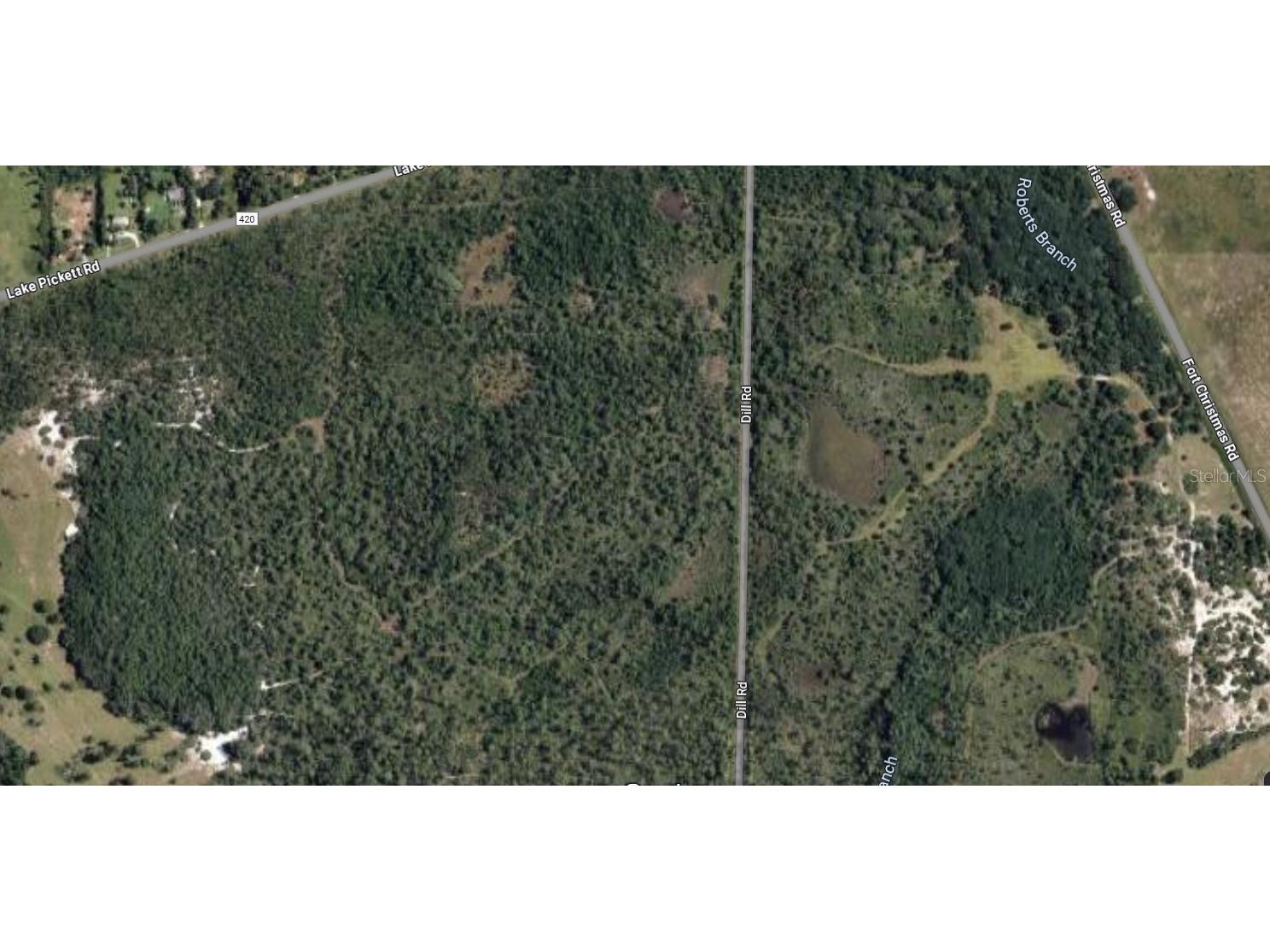
This spacious 2.52-acre parcel, as confirmed by county records, is offered at an exceptional price. The land is unimproved and zoned A-2, making it ideal for future development. An adjacent 2.52-acre parcel is also available at the same price and can be purchased separately or together. No access road is currently in place, so please review the attached images for further details. Don't miss this opportunity to invest in a sizeable tract with great potential. Submit your offer today!
Listing Information
Property Type: Lot/Land, Residential
Status: Active
Lot Size: 2.52 Acres
Subdivision: Orange Co Acres Unrec
Current Use: Residential,Single Family
County: Orange
Utilities
Other Utilities: Other,Sewer Not Available,Water Not Available
Exterior / Lot Features
Lot Dimensions: 109,603 ft²
Driving Directions
S Orange Ave Head south toward W South St.,Turn right onto W South St, Turn left onto S Division Ave, Turn left onto E Anderson Slight left to merge onto FL-408 E Toll road Merge onto FL-408 E Toll road 2.9 mi Keep left to stay on FL-408 E Toll road 2.0 mi Continue straight to stay on FL-408 E Toll road 3.3 mi Keep left to stay on FL-408 E Toll road 3.4 mi Take exit 23 for FL-50 E Toll road 0.4 mi Merge onto State Rd. Turn left onto Lake Pickett Rd, turn right to stay on Lake Pickett Rd.,Turn right onto Dill Rd Restricted usage road Dill Rd, Bithlo, FL 32820, No access to the land directly.
Financial Considerations
Terms: Cash
Tax/Property ID: 25-22-32-6215-01-390
Tax Amount: 40
Tax Year: 2024
A broker reciprocity listing courtesy: COLDWELL BANKER REALTY
Based on information provided by Stellar MLS as distributed by the MLS GRID. Information from the Internet Data Exchange is provided exclusively for consumers’ personal, non-commercial use, and such information may not be used for any purpose other than to identify prospective properties consumers may be interested in purchasing. This data is deemed reliable but is not guaranteed to be accurate by Edina Realty, Inc., or by the MLS. Edina Realty, Inc., is not a multiple listing service (MLS), nor does it offer MLS access.
Copyright 2026 Stellar MLS as distributed by the MLS GRID. All Rights Reserved.
Payment Calculator
Interest rate and annual percentage rate (APR) are based on current market conditions, are for informational purposes only, are subject to change without notice and may be subject to pricing add-ons related to property type, loan amount, loan-to-value, credit score and other variables. Estimated closing costs used in the APR calculation are assumed to be paid by the borrower at closing. If the closing costs are financed, the loan, APR and payment amounts will be higher. If the down payment is less than 20%, mortgage insurance may be required and could increase the monthly payment and APR. Contact us for details. Additional loan programs may be available. Accuracy is not guaranteed, and all products may not be available in all borrower's geographical areas and are based on their individual situation. This is not a credit decision or a commitment to lend.
Sales History & Tax Summary for Dill Road
Sales History
| Date | Price | |
|---|---|---|
| Currently not available. | ||
Tax Summary
| Tax Year | Estimated Market Value | Total Tax |
|---|---|---|
| Currently not available. | ||
Data powered by ATTOM Data Solutions. Copyright© 2026. Information deemed reliable but not guaranteed.
Schools
Schools nearby Dill Road
| Schools in attendance boundaries | Grades | Distance | Rating |
|---|---|---|---|
| Loading... | |||
| Schools nearby | Grades | Distance | Rating |
|---|---|---|---|
| Loading... | |||
Data powered by ATTOM Data Solutions. Copyright© 2026. Information deemed reliable but not guaranteed.
The schools shown represent both the assigned schools and schools by distance based on local school and district attendance boundaries. Attendance boundaries change based on various factors and proximity does not guarantee enrollment eligibility. Please consult your real estate agent and/or the school district to confirm the schools this property is zoned to attend. Information is deemed reliable but not guaranteed.
SchoolDigger ® Rating
The SchoolDigger rating system is a 1-5 scale with 5 as the highest rating. SchoolDigger ranks schools based on test scores supplied by each state's Department of Education. They calculate an average standard score by normalizing and averaging each school's test scores across all tests and grades.
Coming soon properties will soon be on the market, but are not yet available for showings.