$799,000
L2B1 Elder Drive Baxter, MN 56425
For Sale MLS# 6432891
2.48 Acres Lot/Land
Details for L2B1 Elder Drive
MLS# 6432891
Description for L2B1 Elder Drive, Baxter, MN, 56425
Excellent opportunity to purchase a commercial site in Baxter with road frontage on all sides. This prime site is located near several big-box retailers including Costco, Home Depot and Super Wal-Mart plus numerous medium-box retailers and medical service businesses. Enjoy high traffic counts, excellent visibility and synergistic neighbors in a growing commercial area.
Listing Information
Property Type: Lot/Land, Commercial Lot
Status: Active
Lot Size: 2.48 Acres
Subdivision: Elder Acres
County: Crow Wing
Days On Market: 959
School Information
District: 181 - Brainerd
Utilities
Other Utilities: Broadband Available,Electricity Available,Natural Gas Available,None Connected,Phone Available,Sewer Available,Storm Sewer Available,Water Available
Exterior / Lot Features
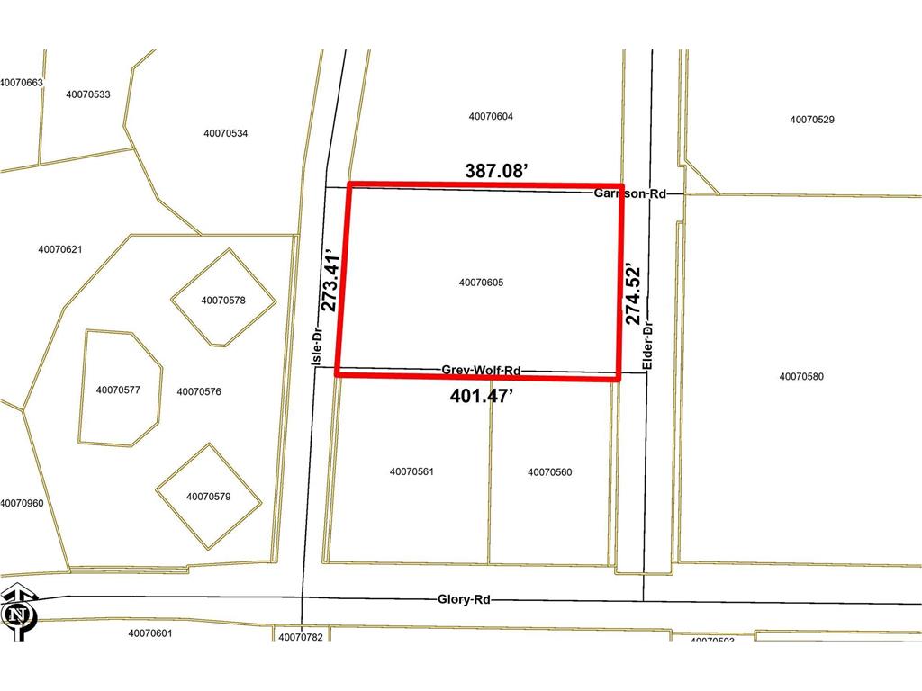
Lot Dimensions: 274x387x273x401
Zoning: Business/Commercial
Topography: Level
Additional Exterior/Lot Features: Corner Lot, Raw Land, Land Inclusions - Easements,Platted, Road Frontage - City, Curbs, Paved Streets, Sidewalks, Street Lights, Storm Sewer
Driving Directions
From Hwy 210/371 intersection in Baxter - South on Hwy 371 - West on Glory Road - North on Elder Drive - Property is on the West between Gray Wolf Road and Garrison Road
Financial Considerations
Other Annual Tax: $3,366
Covenants/Deed Restrictions: Easements
Tax/Property ID: 032940010020009
Tax Amount: 12465.66
Tax Year: 2025
HomeStead Description: Non-Homesteaded
A broker reciprocity listing courtesy: Close-Converse Commercial Prop
The data relating to real estate for sale on this web site comes in part from the Broker Reciprocity℠ Program of the Regional Multiple Listing Service of Minnesota, Inc. Real estate listings held by brokerage firms other than Edina Realty, Inc. are marked with the Broker Reciprocity℠ logo or the Broker Reciprocity℠ thumbnail and detailed information about them includes the name of the listing brokers. Edina Realty, Inc. is not a Multiple Listing Service (MLS), nor does it offer MLS access. This website is a service of Edina Realty, Inc., a broker Participant of the Regional Multiple Listing Service of Minnesota, Inc. IDX information is provided exclusively for consumers personal, non-commercial use and may not be used for any purpose other than to identify prospective properties consumers may be interested in purchasing. Open House information is subject to change without notice. Information deemed reliable but not guaranteed.
Copyright 2026 Regional Multiple Listing Service of Minnesota, Inc. All Rights Reserved.
Payment Calculator
Interest rate and annual percentage rate (APR) are based on current market conditions, are for informational purposes only, are subject to change without notice and may be subject to pricing add-ons related to property type, loan amount, loan-to-value, credit score and other variables. Estimated closing costs used in the APR calculation are assumed to be paid by the borrower at closing. If the closing costs are financed, the loan, APR and payment amounts will be higher. If the down payment is less than 20%, mortgage insurance may be required and could increase the monthly payment and APR. Contact us for details. Additional loan programs may be available. Accuracy is not guaranteed, and all products may not be available in all borrower's geographical areas and are based on their individual situation. This is not a credit decision or a commitment to lend.
Sales History & Tax Summary for L2B1 Elder Drive
Sales History
| Date | Price | |
|---|---|---|
| Currently not available. | ||
Tax Summary
| Tax Year | Estimated Market Value | Total Tax |
|---|---|---|
| Currently not available. | ||
Data powered by ATTOM Data Solutions. Copyright© 2026. Information deemed reliable but not guaranteed.
Schools
Schools nearby L2B1 Elder Drive
| Schools in attendance boundaries | Grades | Distance | Rating |
|---|---|---|---|
| Loading... | |||
| Schools nearby | Grades | Distance | Rating |
|---|---|---|---|
| Loading... | |||
Data powered by ATTOM Data Solutions. Copyright© 2026. Information deemed reliable but not guaranteed.
The schools shown represent both the assigned schools and schools by distance based on local school and district attendance boundaries. Attendance boundaries change based on various factors and proximity does not guarantee enrollment eligibility. Please consult your real estate agent and/or the school district to confirm the schools this property is zoned to attend. Information is deemed reliable but not guaranteed.
SchoolDigger ® Rating
The SchoolDigger rating system is a 1-5 scale with 5 as the highest rating. SchoolDigger ranks schools based on test scores supplied by each state's Department of Education. They calculate an average standard score by normalizing and averaging each school's test scores across all tests and grades.
Coming soon properties will soon be on the market, but are not yet available for showings.