$19,500

Las Palmas Avenue #11&12, Spring Hill, FL 34606

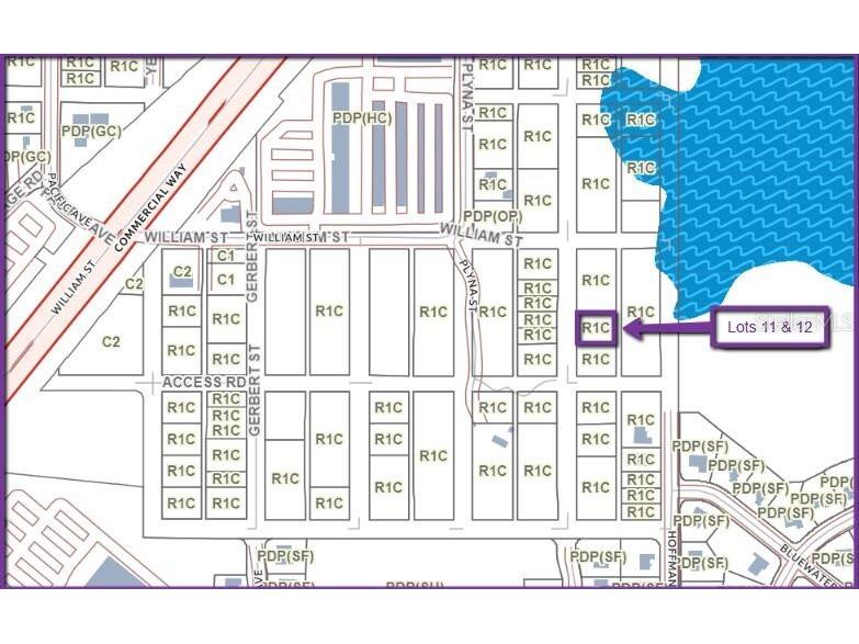
Save Contact ). These are Lots 11 & 12 in the undeveloped Berkeley Townsite subdivision! This is zoned R-1C. YOU MAY SPLIT THE LOTS AND BUILD A HOME IN EACH LOT, either a Single Family and/or Modular. No mobile homes would be allowed. There is no built-by date and no HOA! Residential water would be available with Hernando utilities but a septic would be needed. This property is close to major highways: US 19 (Commercial Way), 589 (Suncoast Pkwy, Toll), and Cortez Blvd. All the major stores are nearby! NOTE: THIS TREED PROPERTY IS CURRENTLY LANDLOCKED. The designated street name for this property would be Las Palmas Ave. The buyer is responsible for obtaining the right-of-way permit for street tree clearing and/or road construction and verifying building specifics with the County, contractor, and/or surveyor. Utilities are to be verified and confirmed by the buyer, which would be through Hernando Utilities and WREC. You can buy and hold-- take your time to plan your home-building project! What are you waiting for? Don't miss the opportunity to create your own oasis in this strategic location in Spring Hill!" url="https://www.edinarealty.com/land-lots-for-sale/las-palmas-avenue-1112-spring-hill-fl-34606-o6268733" media="https://www.edinarealty.com/listing-images/listing/STELLAR/-LAS-PALMAS-AVENUE-11-12-Spring-Hill-FL-34606-O6268733-image1.jpeg"]

$19,500

(2,000) 06/08/2025

Las Palmas Avenue #11&12 Spring Hill, FL 34606

For Sale MLS# O6268733

0.29 Acres Lot/Land

). These are Lots 11 & 12 in the undeveloped Berkeley Townsite subdivision! This is zoned R-1C. YOU MAY SPLIT THE LOTS AND BUILD A HOME IN EACH LOT, either a Single Family and/or Modular. No mobile homes would be allowed. There is no built-by date and no HOA! Residential water would be available with Hernando utilities but a septic would be needed. This property is close to major highways: US 19 (Commercial Way), 589 (Suncoast Pkwy, Toll), and Cortez Blvd. All the major stores are nearby! NOTE: THIS TREED PROPERTY IS CURRENTLY LANDLOCKED. The designated street name for this property would be Las Palmas Ave. The buyer is responsible for obtaining the right-of-way permit for street tree clearing and/or road construction and verifying building specifics with the County, contractor, and/or surveyor. Utilities are to be verified and confirmed by the buyer, which would be through Hernando Utilities and WREC. You can buy and hold-- take your time to plan your home-building project! What are you waiting for? Don't miss the opportunity to create your own oasis in this strategic location in Spring Hill!" url="https://www.edinarealty.com/land-lots-for-sale/las-palmas-avenue-1112-spring-hill-fl-34606-o6268733" media="https://www.edinarealty.com/listing-images/listing/STELLAR/-LAS-PALMAS-AVENUE-11-12-Spring-Hill-FL-34606-O6268733-image1.jpeg"]

Comments

Notifications

To receive email notifications, you need to update your profile with your email address.
Data current as of 20/12/2025 01:08:51

Details for Las Palmas Avenue #11&12

MLS# O6268733

Description for Las Palmas Avenue #11&12, Spring Hill, FL, 34606


Are you looking to own land in Spring Hill, FL? Take advantage of this investment! This is a 0.29-acre DOUBLE LOT (12,500 square feet total; [125' by 50' each lot]). These are Lots 11 & 12 in the undeveloped Berkeley Townsite subdivision! This is zoned R-1C. YOU MAY SPLIT THE LOTS AND BUILD A HOME IN EACH LOT, either a Single Family and/or Modular. No mobile homes would be allowed. There is no built-by date and no HOA! Residential water would be available with Hernando utilities but a septic would be needed. This property is close to major highways: US 19 (Commercial Way), 589 (Suncoast Pkwy, Toll), and Cortez Blvd. All the major stores are nearby! NOTE: THIS TREED PROPERTY IS CURRENTLY LANDLOCKED. The designated street name for this property would be Las Palmas Ave. The buyer is responsible for obtaining the right-of-way permit for street tree clearing and/or road construction and verifying building specifics with the County, contractor, and/or surveyor. Utilities are to be verified and confirmed by the buyer, which would be through Hernando Utilities and WREC. You can buy and hold-- take your time to plan your home-building project! What are you waiting for? Don't miss the opportunity to create your own oasis in this strategic location in Spring Hill!

Listing Information


Property Type: Lot/Land, Residential

Status: Active

Lot Size: 0.29 Acres

Subdivision: Berkeley Townsite Of

Current Use: Residential,Single Family

County: Hernando

Utilities


Water: Public

Sewer: Septic Needed

Other Utilities: Other

Exterior / Lot Features


Lot Dimensions: 0x0

Driving Directions


Turn left onto Northcliffe Blvd Use the left lane to turn left onto Commercial Way Turn left toward William St Turn left onto William St Turn right onto Plyna St

Financial Considerations


Terms: Cash

Tax/Property ID: R10-223-17-1420-0390-0110

Tax Amount: 162

Tax Year: 2024

Property price
$
Down payment
$
%
Select Interest Rate
%
Loan term
Property taxes
$
/yr
HOA dues
$
/mo
Homeowners insurance
$
/yr
$0/yr
Show advanced features

Interest rate and annual percentage rate (APR) are based on current market conditions, are for informational purposes only, are subject to change without notice and may be subject to pricing add-ons related to property type, loan amount, loan-to-value, credit score and other variables. Estimated closing costs used in the APR calculation are assumed to be paid by the borrower at closing. If the closing costs are financed, the loan, APR and payment amounts will be higher. If the down payment is less than 20%, mortgage insurance may be required and could increase the monthly payment and APR. Contact us for details. Additional loan programs may be available. Accuracy is not guaranteed, and all products may not be available in all borrower's geographical areas and are based on their individual situation. This is not a credit decision or a commitment to lend.

Sales History

Date Price Change
Currently not available.

Tax Summary

Tax Year Estimated Market Value Total Tax
Currently not available.

Data powered by ATTOM Data Solutions. Copyright© 2025. Information deemed reliable but not guaranteed.

Schools nearby Las Palmas Avenue #11&12

Schools in attendance boundaries Grades Distance Rating
Loading...


Schools nearby Grades Distance Rating
Loading...

Data powered by ATTOM Data Solutions. Copyright© 2025. Information deemed reliable but not guaranteed.

The schools shown represent both the assigned schools and schools by distance based on local school and district attendance boundaries. Attendance boundaries change based on various factors and proximity does not guarantee enrollment eligibility. Please consult your real estate agent and/or the school district to confirm the schools this property is zoned to attend. Information is deemed reliable but not guaranteed.

SchoolDigger ® Rating

The SchoolDigger rating system is a 1-5 scale with 5 as the highest rating. SchoolDigger ranks schools based on test scores supplied by each state's Department of Education. They calculate an average standard score by normalizing and averaging each school's test scores across all tests and grades.

Coming soon properties will soon be on the market, but are not yet available for showings.