$24,900
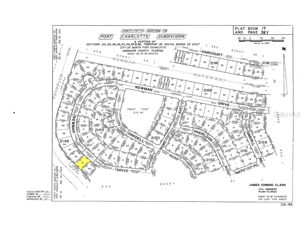
Lot 41 Newman Drive North Port, FL 34288 - COCOPLUM WATERWAY
For Sale MLS# D6142878
0.23 Acres Lot/Land
Details for Lot 41 Newman Drive
MLS# D6142878
Description for Lot 41 Newman Drive, North Port, FL, 34288 - COCOPLUM WATERWAY
Investment Opportunity Alert! This property was formally zoned Residential and has recently been rezoned to AC10, known as Activity Center 10. This a development plan for North Port that allows for commercial and industrial uses. Electric is available and the property is not in a mandatory flood zone. Well and septic are required. Currently not located in Scrub Jay habitat (please reconfirm during due diligence period). This property is in a growing development area and is conveniently located near I75 for all your traveling needs!
Listing Information
Property Type: Lot/Land, Unimproved Land
Status: Active
Lot Size: 0.23 Acres
Subdivision: Port Charlotte Sub 45
Current Use: Unimproved
County: Sarasota
School Information
Elementary: Atwater Bay Elementary
Middle: Woodland Middle School
High: North Port High
Utilities
Water: Not Connected, Well, Well Needed
Sewer: Septic Needed
Other Utilities: Electricity Available
Exterior / Lot Features
Lot View: Canal,Water
Lot Dimensions: 80x125x80x125
Additional Exterior/Lot Features: City Lot
Waterfront Details
Standard Water Body: COCOPLUM WATERWAY
Water Front Features: Canal Access
Driving Directions
Take Veterans Boulevard to left on Yorkshire Street. Turn right on Hillsborough Boulevard and continue straight onto Raintree Boulevard. Turn left on Nome Avenue and left on Newman Drive. Property will be on the left, look for the sign.
Financial Considerations
Terms: Cash
Tax/Property ID: 1150214841
Tax Amount: 756.54
Tax Year: 2025
A broker reciprocity listing courtesy: RE/MAX ALLIANCE GROUP
Based on information provided by Stellar MLS as distributed by the MLS GRID. Information from the Internet Data Exchange is provided exclusively for consumers’ personal, non-commercial use, and such information may not be used for any purpose other than to identify prospective properties consumers may be interested in purchasing. This data is deemed reliable but is not guaranteed to be accurate by Edina Realty, Inc., or by the MLS. Edina Realty, Inc., is not a multiple listing service (MLS), nor does it offer MLS access.
Copyright 2025 Stellar MLS as distributed by the MLS GRID. All Rights Reserved.
Payment Calculator
Interest rate and annual percentage rate (APR) are based on current market conditions, are for informational purposes only, are subject to change without notice and may be subject to pricing add-ons related to property type, loan amount, loan-to-value, credit score and other variables. Estimated closing costs used in the APR calculation are assumed to be paid by the borrower at closing. If the closing costs are financed, the loan, APR and payment amounts will be higher. If the down payment is less than 20%, mortgage insurance may be required and could increase the monthly payment and APR. Contact us for details. Additional loan programs may be available. Accuracy is not guaranteed, and all products may not be available in all borrower's geographical areas and are based on their individual situation. This is not a credit decision or a commitment to lend.
Sales History & Tax Summary for Lot 41 Newman Drive
Sales History
| Date | Price | Change |
|---|---|---|
| Currently not available. | ||
Tax Summary
| Tax Year | Estimated Market Value | Total Tax |
|---|---|---|
| Currently not available. | ||
Data powered by ATTOM Data Solutions. Copyright© 2025. Information deemed reliable but not guaranteed.
Schools
Schools nearby Lot 41 Newman Drive
| Schools in attendance boundaries | Grades | Distance | Rating |
|---|---|---|---|
| Loading... | |||
| Schools nearby | Grades | Distance | Rating |
|---|---|---|---|
| Loading... | |||
Data powered by ATTOM Data Solutions. Copyright© 2025. Information deemed reliable but not guaranteed.
The schools shown represent both the assigned schools and schools by distance based on local school and district attendance boundaries. Attendance boundaries change based on various factors and proximity does not guarantee enrollment eligibility. Please consult your real estate agent and/or the school district to confirm the schools this property is zoned to attend. Information is deemed reliable but not guaranteed.
SchoolDigger ® Rating
The SchoolDigger rating system is a 1-5 scale with 5 as the highest rating. SchoolDigger ranks schools based on test scores supplied by each state's Department of Education. They calculate an average standard score by normalizing and averaging each school's test scores across all tests and grades.
Coming soon properties will soon be on the market, but are not yet available for showings.