SW 31st Terrace Road Ocala, FL 34473
For Sale MLS# S5130446
0.37 Acres Lot/Land
Details for SW 31st Terrace Road
MLS# S5130446
Description for SW 31st Terrace Road, Ocala, FL, 34473
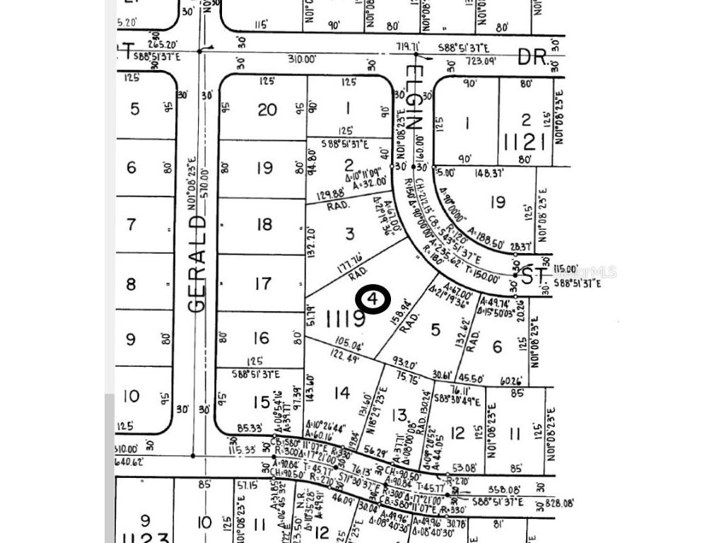
Looking for a nice location for a future home... Check out this Oversized Lot located in Marion Oaks Unit 7 This location offers ease of access to I-75 and most amenities are within 8 miles of this location with some amenities within 2 miles including Supermarkets, Dining, Golf Courses, ETC . Also Located just to the North is the 49th Ave Trail Head. Take a look and you will agree... this is a great location.
Listing Information
Property Type: Lot/Land, Residential
Status: Active
Lot Size: 0.37 Acres
Subdivision: Marion Oaks Unit 7
Current Use: Residential,Single Family
County: Marion
Utilities
Water: Public
Other Utilities: Electricity Available,Water Available,Sewer Not Available
Exterior / Lot Features
Lot View: Park/Greenbelt
Lot Dimensions: 68x155x105x53x173
Additional Exterior/Lot Features: Wooded, Oversized Lot, Trees
Community Features
Association Amenities: Park
Driving Directions
From SW HWY 484 turn right on SW 29th Avenue Rd. then left on 133rd Lane Rd to left on SW 31st Terrace Rd. ( Lot will be in the elbow of the road on the right hand side. )
Financial Considerations
Terms: Cash,Conventional
Tax/Property ID: 8007-1119-04
Tax Amount: 567
Tax Year: 2024
A broker reciprocity listing courtesy: FLORIDA REALTY RESULTS LLC
Based on information provided by Stellar MLS as distributed by the MLS GRID. Information from the Internet Data Exchange is provided exclusively for consumers’ personal, non-commercial use, and such information may not be used for any purpose other than to identify prospective properties consumers may be interested in purchasing. This data is deemed reliable but is not guaranteed to be accurate by Edina Realty, Inc., or by the MLS. Edina Realty, Inc., is not a multiple listing service (MLS), nor does it offer MLS access.
Copyright 2025 Stellar MLS as distributed by the MLS GRID. All Rights Reserved.
Payment Calculator
Interest rate and annual percentage rate (APR) are based on current market conditions, are for informational purposes only, are subject to change without notice and may be subject to pricing add-ons related to property type, loan amount, loan-to-value, credit score and other variables. Estimated closing costs used in the APR calculation are assumed to be paid by the borrower at closing. If the closing costs are financed, the loan, APR and payment amounts will be higher. If the down payment is less than 20%, mortgage insurance may be required and could increase the monthly payment and APR. Contact us for details. Additional loan programs may be available. Accuracy is not guaranteed, and all products may not be available in all borrower's geographical areas and are based on their individual situation. This is not a credit decision or a commitment to lend.
Sales History & Tax Summary for SW 31st Terrace Road
Sales History
| Date | Price | Change |
|---|---|---|
| Currently not available. | ||
Tax Summary
| Tax Year | Estimated Market Value | Total Tax |
|---|---|---|
| Currently not available. | ||
Data powered by ATTOM Data Solutions. Copyright© 2025. Information deemed reliable but not guaranteed.
Schools
Schools nearby SW 31st Terrace Road
| Schools in attendance boundaries | Grades | Distance | Rating |
|---|---|---|---|
| Loading... | |||
| Schools nearby | Grades | Distance | Rating |
|---|---|---|---|
| Loading... | |||
Data powered by ATTOM Data Solutions. Copyright© 2025. Information deemed reliable but not guaranteed.
The schools shown represent both the assigned schools and schools by distance based on local school and district attendance boundaries. Attendance boundaries change based on various factors and proximity does not guarantee enrollment eligibility. Please consult your real estate agent and/or the school district to confirm the schools this property is zoned to attend. Information is deemed reliable but not guaranteed.
SchoolDigger ® Rating
The SchoolDigger rating system is a 1-5 scale with 5 as the highest rating. SchoolDigger ranks schools based on test scores supplied by each state's Department of Education. They calculate an average standard score by normalizing and averaging each school's test scores across all tests and grades.
Coming soon properties will soon be on the market, but are not yet available for showings.