$771,000
TBD Garves Road Burns Twp, WI 54614
For Sale MLS# 6810391
107 Acres Lot/Land
Details for TBD Garves Road
MLS# 6810391
Description for TBD Garves Road, Burns Twp, WI, 54614
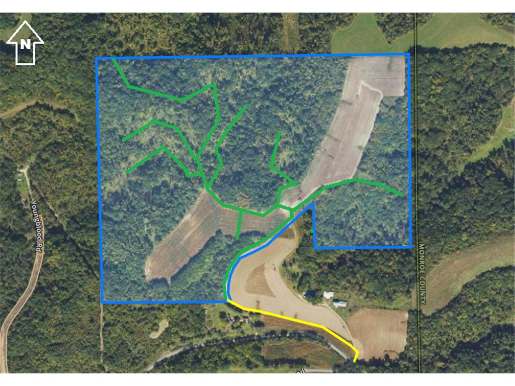
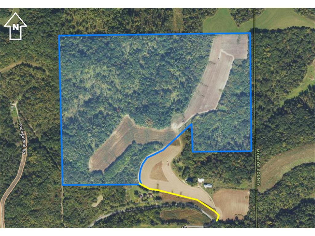
Tucked away in the center of a 2,500 acre bluff country section this property checks all the boxes. Secluded hilltop fields, numerous ridges, points, valleys and springs, all hidden from public view. The topography of this farm creates many nooks and crannies for game to hide. There is a tillable field that is nearly 20 acres in size which meanders down the top of the ridge providing a central focal point amongst the surrounding cover. A half mile long timbered ridge winds its way out to the northwest creating several saddles along the way. No matter where you look as you venture around this property there are ideal spots to hunt. The timber is comprised of a mix of hardwoods including mostly oak and hickory. Parts of it were patch cut several years back creating intermittent blocks of heavy cover. A maintained trail system offers easy ATV access to most areas of the parcel. Current zoning allows for several building entitlement options. Property will include a ingress, egress and utility easement from Garves Rd. Only 15 miles to LaCrosse and 35 miles to Winona.
Listing Information
Property Type: Lot/Land, Acreage,Pasture and Timber,Recreational, Farm
Status: Active
Lot Size: 107 Acres
County: La Crosse
Days On Market: 139
School Information
District: 245 - Bangor
Utilities
Other Utilities: Electricity Available,None Connected,Phone Available
Exterior / Lot Features
Lot Dimensions: L11+W11+L21+W21
Farm Type: Crop,Wooded/Hunting
Crop Type: Beans,Corn
Zoning: Agriculture
Topography: Wooded, Hilly
Additional Exterior/Lot Features: Irregular Lot, Tree Coverage - Heavy, Tillable, Raw Land, Land Inclusions - Easements,Survey,Survey Stakes,Topographic Map, Road Frontage - Private
Soil Type: Clay,Loam
Tillable Acres: 20.00
Wooded Acres: 87
Waterfront Details
Water Front Features: Other/See Remarks
Driving Directions
From LaCrosse take I 90 to Hwy 16. Follow Hwy 16 East to County 162. Follow 1-62 North for 5 miles then right on Garves Coulee Rd for 1.75 miles.
Financial Considerations
Covenants/Deed Restrictions: Horses/Livestock Allowed, Other Bldg Restrictions, Easements
Tax/Property ID: 0301045000
Tax Amount: 808
Tax Year: 2024
HomeStead Description: Non-Homesteaded
A broker reciprocity listing courtesy: Weiss Realty LLC
The data relating to real estate for sale on this web site comes in part from the Broker Reciprocity℠ Program of the Regional Multiple Listing Service of Minnesota, Inc. Real estate listings held by brokerage firms other than Edina Realty, Inc. are marked with the Broker Reciprocity℠ logo or the Broker Reciprocity℠ thumbnail and detailed information about them includes the name of the listing brokers. Edina Realty, Inc. is not a Multiple Listing Service (MLS), nor does it offer MLS access. This website is a service of Edina Realty, Inc., a broker Participant of the Regional Multiple Listing Service of Minnesota, Inc. IDX information is provided exclusively for consumers personal, non-commercial use and may not be used for any purpose other than to identify prospective properties consumers may be interested in purchasing. Open House information is subject to change without notice. Information deemed reliable but not guaranteed.
Copyright 2026 Regional Multiple Listing Service of Minnesota, Inc. All Rights Reserved.
Payment Calculator
Interest rate and annual percentage rate (APR) are based on current market conditions, are for informational purposes only, are subject to change without notice and may be subject to pricing add-ons related to property type, loan amount, loan-to-value, credit score and other variables. Estimated closing costs used in the APR calculation are assumed to be paid by the borrower at closing. If the closing costs are financed, the loan, APR and payment amounts will be higher. If the down payment is less than 20%, mortgage insurance may be required and could increase the monthly payment and APR. Contact us for details. Additional loan programs may be available. Accuracy is not guaranteed, and all products may not be available in all borrower's geographical areas and are based on their individual situation. This is not a credit decision or a commitment to lend.
Sales History & Tax Summary for TBD Garves Road
Sales History
| Date | Price | |
|---|---|---|
| Currently not available. | ||
Tax Summary
| Tax Year | Estimated Market Value | Total Tax |
|---|---|---|
| Currently not available. | ||
Data powered by ATTOM Data Solutions. Copyright© 2026. Information deemed reliable but not guaranteed.
Schools
Schools nearby TBD Garves Road
| Schools in attendance boundaries | Grades | Distance | Rating |
|---|---|---|---|
| Loading... | |||
| Schools nearby | Grades | Distance | Rating |
|---|---|---|---|
| Loading... | |||
Data powered by ATTOM Data Solutions. Copyright© 2026. Information deemed reliable but not guaranteed.
The schools shown represent both the assigned schools and schools by distance based on local school and district attendance boundaries. Attendance boundaries change based on various factors and proximity does not guarantee enrollment eligibility. Please consult your real estate agent and/or the school district to confirm the schools this property is zoned to attend. Information is deemed reliable but not guaranteed.
SchoolDigger ® Rating
The SchoolDigger rating system is a 1-5 scale with 5 as the highest rating. SchoolDigger ranks schools based on test scores supplied by each state's Department of Education. They calculate an average standard score by normalizing and averaging each school's test scores across all tests and grades.
Coming soon properties will soon be on the market, but are not yet available for showings.