$440,000
TBD N 12/27 Highway Black River Falls, WI 54615
For Sale MLS# 1596056
80 Acres Lot/Land
Details for TBD N 12/27 Highway
MLS# 1596056
Description for TBD N 12/27 Highway, Black River Falls, WI, 54615
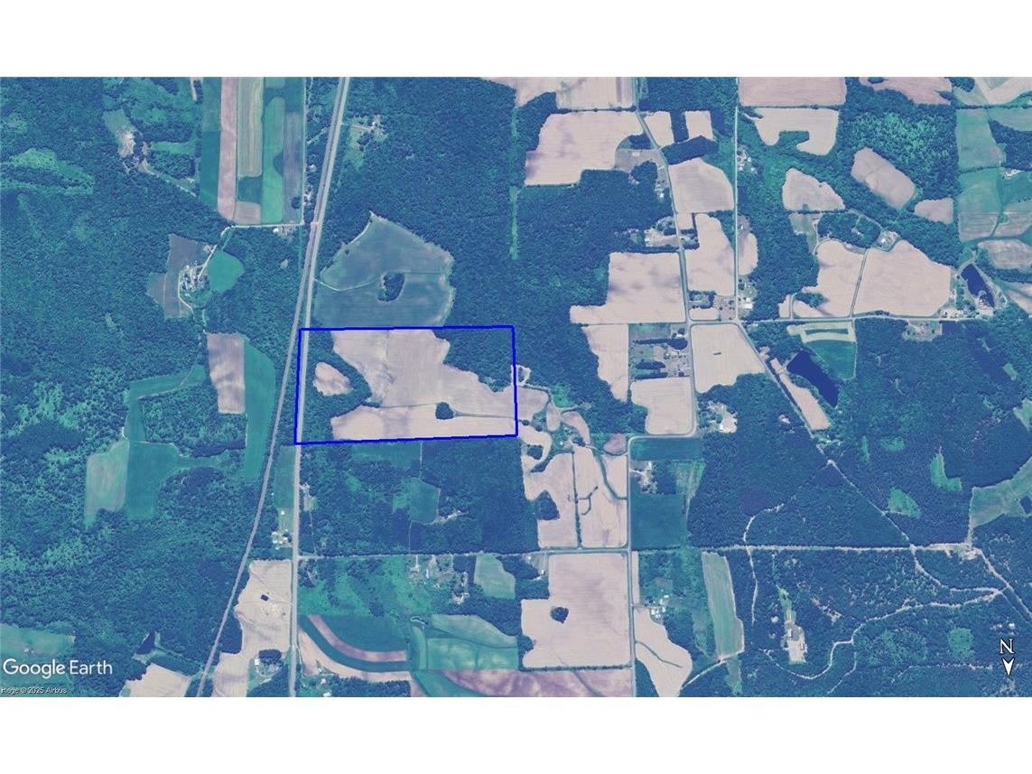
If this land could speak, it would have tales to tell! The acreage has not been offered to the public in approximately 80 years! Now's your chance to own 80+/- acres located minutes north of Black River Falls, WI. The acreage boasts a great mix of tillable and wooded ground. One finds approximately 51 acres of tillable land and 24 acres of wooded property (per Farm Service Map). A local farmer is currently stewarding the property. The deer and elk sign is incredible. The local elk herd frequents this area! One will experience spectacular views from several locations on the property. The seller has installed a Wisconsin DOT-approved driveway access from Hwy 12/27. The potential here is amazing!
Listing Information
Property Type: Lot/Land, Unimproved Land
Status: Active
Lot Size: 80 Acres
County: Jackson
Days On Market: 34
School Information
District: BLACK RIVER FALLS
Utilities
Other Utilities: Electricity Available,Other,See Remarks,Sewer Not Available,Water Not Available
Exterior / Lot Features
Lot Dimensions: 0 x 0 x
Zoning: Agricultural,Wetlands
Topography: Rolling, Cleared
Additional Exterior/Lot Features: Wooded, Rolling Slope
Waterfront Details
Water Front Features: Creek
Driving Directions
From Black River Falls, Hwy 12/27 North approximately 3.5 miles. The property is on the left. The seller has installed an approved WI DOT driveway access from 12/27. Look for the real estate sign and new driveway.
Financial Considerations
Tax/Property ID: 002-0444.0000, 002-0445.000
Tax Amount: 497.49
Tax Year: 2024
A broker reciprocity listing courtesy: Weiss Realty LLC
The data relating to real estate for sale on this web site comes in part from the Broker Reciprocity℠ Program of the Northwestern Wisconsin MLS. Real estate listings held by brokerage firms other than Edina Realty, Inc. are marked with the Broker Reciprocity℠ logo or the Broker Reciprocity℠ thumbnail and detailed information about them includes the name of the listing brokers. Edina Realty, Inc. is not a Multiple Listing Service (MLS), nor does it offer MLS access. This website is a service of Edina Realty, Inc., a broker Participant of the Northwestern Wisconsin MLS. IDX information is provided exclusively for consumers personal, non-commercial use and may not be used for any purpose other than to identify prospective properties consumers may be interested in purchasing. Open House information is subject to change without notice. Information deemed reliable but not guaranteed.
Copyright 2025 Northwestern Wisconsin MLS. All Rights Reserved.
Payment Calculator
Interest rate and annual percentage rate (APR) are based on current market conditions, are for informational purposes only, are subject to change without notice and may be subject to pricing add-ons related to property type, loan amount, loan-to-value, credit score and other variables. Estimated closing costs used in the APR calculation are assumed to be paid by the borrower at closing. If the closing costs are financed, the loan, APR and payment amounts will be higher. If the down payment is less than 20%, mortgage insurance may be required and could increase the monthly payment and APR. Contact us for details. Additional loan programs may be available. Accuracy is not guaranteed, and all products may not be available in all borrower's geographical areas and are based on their individual situation. This is not a credit decision or a commitment to lend.
Sales History & Tax Summary for TBD N 12/27 Highway
Sales History
| Date | Price | Change |
|---|---|---|
| Currently not available. | ||
Tax Summary
| Tax Year | Estimated Market Value | Total Tax |
|---|---|---|
| Currently not available. | ||
Data powered by ATTOM Data Solutions. Copyright© 2025. Information deemed reliable but not guaranteed.
Schools
Schools nearby TBD N 12/27 Highway
| Schools in attendance boundaries | Grades | Distance | Rating |
|---|---|---|---|
| Loading... | |||
| Schools nearby | Grades | Distance | Rating |
|---|---|---|---|
| Loading... | |||
Data powered by ATTOM Data Solutions. Copyright© 2025. Information deemed reliable but not guaranteed.
The schools shown represent both the assigned schools and schools by distance based on local school and district attendance boundaries. Attendance boundaries change based on various factors and proximity does not guarantee enrollment eligibility. Please consult your real estate agent and/or the school district to confirm the schools this property is zoned to attend. Information is deemed reliable but not guaranteed.
SchoolDigger ® Rating
The SchoolDigger rating system is a 1-5 scale with 5 as the highest rating. SchoolDigger ranks schools based on test scores supplied by each state's Department of Education. They calculate an average standard score by normalizing and averaging each school's test scores across all tests and grades.
Coming soon properties will soon be on the market, but are not yet available for showings.