$319,000
TBD State Highway 12/27 Fairchild, WI 54741 - Bridge
For Sale MLS# 1594552
62 Acres Lot/Land
Details for TBD State Highway 12/27
MLS# 1594552
Description for TBD State Highway 12/27, Fairchild, WI, 54741 - Bridge
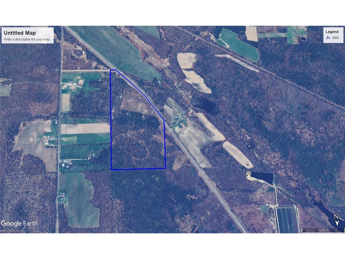
Minutes northwest of Fairchild, Wisconsin, one discovers this 61+/- acre property. The land offers approximately 8 acres of tillable ground, excellent hunting opportunities, and some potential timber value. Heavy deer trails are evident, with thick cover providing sanctuary for the local deer herd. Bridge Creek runs through the eastern edge of the land. This acreage is approximately 15 minutes from the I-94 exit at Osseo, Wisconsin. A state-approved driveway makes for easy access from Hwy 12/27. This land is an open palette for creating a top-producing hunting property. Travel time is about 2 hours from Minneapolis, 4.5 hours from Chicago, and 3.25 hours from Milwaukee. What a great opportunity to start your legacy in southern Eau Claire County! Taxes are approximate due to a fresh survey. Seller to provide an access easement across the NE corner of this property.
Listing Information
Property Type: Lot/Land, Unimproved Land
Status: Active
Lot Size: 62 Acres
County: Eau Claire
Days On Market: 104
School Information
District: Osseo-Fairchild
Utilities
Other Utilities: Electricity Available,Sewer Not Available,Water Not Available
Exterior / Lot Features
Lot Dimensions: 0 x 0 x
Zoning: Shoreline,Unzoned,Wetlands
Topography: Cleared, Level
Fencing: Barbed Wire
Additional Exterior/Lot Features: Level, Wooded
Waterfront Details
Standard Water Body: Bridge
Water Front Features: Creek
Driving Directions
From Fairchild, WI, Hwy 12/27 NW 2+ miles to the property on the right, look for the real estate sign.
Financial Considerations
Tax/Property ID: 010104405000, 010104404000
Tax Amount: 1439.42
Tax Year: 2024
A broker reciprocity listing courtesy: Weiss Realty LLC
The data relating to real estate for sale on this web site comes in part from the Broker Reciprocity℠ Program of the Northwestern Wisconsin MLS. Real estate listings held by brokerage firms other than Edina Realty, Inc. are marked with the Broker Reciprocity℠ logo or the Broker Reciprocity℠ thumbnail and detailed information about them includes the name of the listing brokers. Edina Realty, Inc. is not a Multiple Listing Service (MLS), nor does it offer MLS access. This website is a service of Edina Realty, Inc., a broker Participant of the Northwestern Wisconsin MLS. IDX information is provided exclusively for consumers personal, non-commercial use and may not be used for any purpose other than to identify prospective properties consumers may be interested in purchasing. Open House information is subject to change without notice. Information deemed reliable but not guaranteed.
Copyright 2025 Northwestern Wisconsin MLS. All Rights Reserved.
Payment Calculator
Interest rate and annual percentage rate (APR) are based on current market conditions, are for informational purposes only, are subject to change without notice and may be subject to pricing add-ons related to property type, loan amount, loan-to-value, credit score and other variables. Estimated closing costs used in the APR calculation are assumed to be paid by the borrower at closing. If the closing costs are financed, the loan, APR and payment amounts will be higher. If the down payment is less than 20%, mortgage insurance may be required and could increase the monthly payment and APR. Contact us for details. Additional loan programs may be available. Accuracy is not guaranteed, and all products may not be available in all borrower's geographical areas and are based on their individual situation. This is not a credit decision or a commitment to lend.
Sales History & Tax Summary for TBD State Highway 12/27
Sales History
| Date | Price | Change |
|---|---|---|
| Currently not available. | ||
Tax Summary
| Tax Year | Estimated Market Value | Total Tax |
|---|---|---|
| Currently not available. | ||
Data powered by ATTOM Data Solutions. Copyright© 2025. Information deemed reliable but not guaranteed.
Schools
Schools nearby TBD State Highway 12/27
| Schools in attendance boundaries | Grades | Distance | Rating |
|---|---|---|---|
| Loading... | |||
| Schools nearby | Grades | Distance | Rating |
|---|---|---|---|
| Loading... | |||
Data powered by ATTOM Data Solutions. Copyright© 2025. Information deemed reliable but not guaranteed.
The schools shown represent both the assigned schools and schools by distance based on local school and district attendance boundaries. Attendance boundaries change based on various factors and proximity does not guarantee enrollment eligibility. Please consult your real estate agent and/or the school district to confirm the schools this property is zoned to attend. Information is deemed reliable but not guaranteed.
SchoolDigger ® Rating
The SchoolDigger rating system is a 1-5 scale with 5 as the highest rating. SchoolDigger ranks schools based on test scores supplied by each state's Department of Education. They calculate an average standard score by normalizing and averaging each school's test scores across all tests and grades.
Coming soon properties will soon be on the market, but are not yet available for showings.