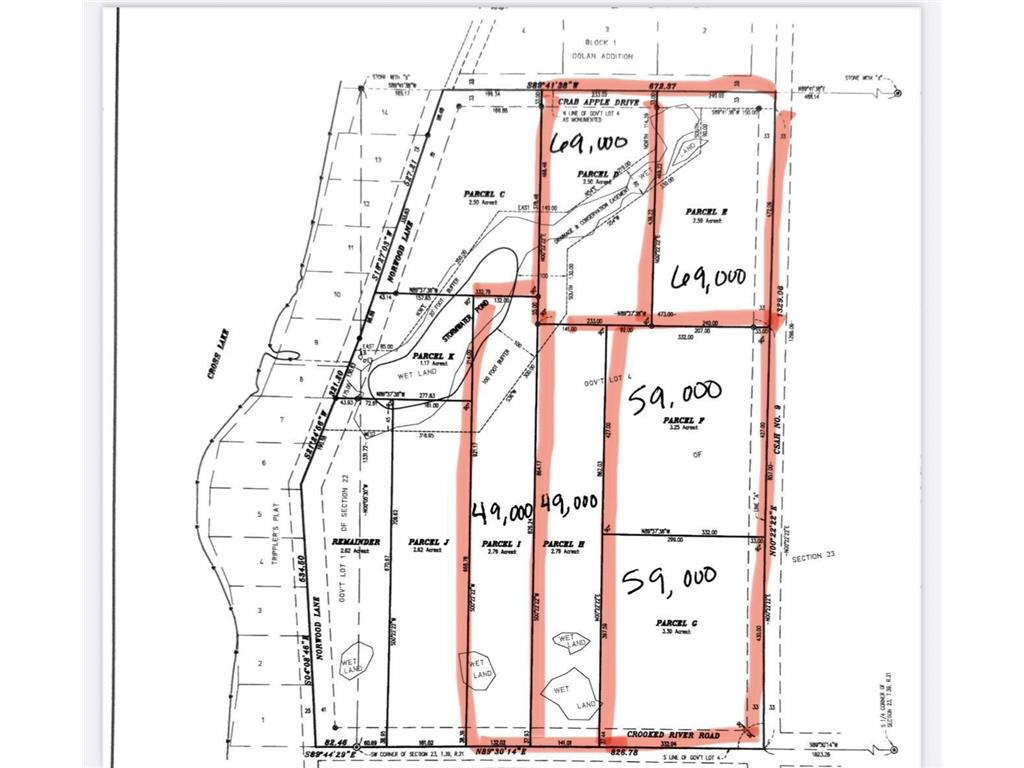
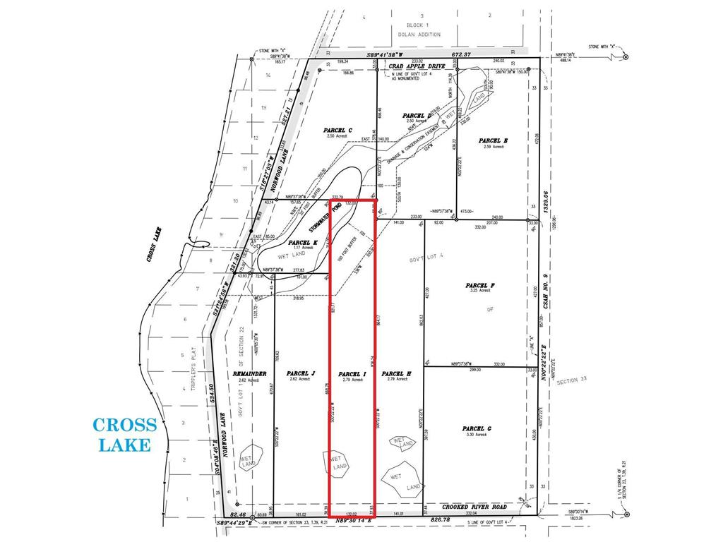
$49,000
X Crooked River Rd, Lot I Chengwatana Twp, MN 55063 - Cross
For Sale MLS# 6751814
2.79 Acres Lot/Land
Details for X Crooked River Rd, Lot I
MLS# 6751814
Description for X Crooked River Rd, Lot I, Chengwatana Twp, MN, 55063 - Cross
Ready-to-go residential lot with beautiful lake views - without lake property taxes. Cross Lake is fully recreational connected to the Snake River, which allows access to Pokegama Lake. Boat launch 1 minute away at Snake River Landing. Level lots. Your dream home build awaits. Eight minutes from all Pine City has to offer! City water available but not connected. 8 minutes away from all Pine City has to offer! City water availible, not connected.
Listing Information
Property Type: Lot/Land, Residential Lot
Status: Active
Lot Size: 2.79 Acres
County: Pine
Days On Market: 237
School Information
District: 578 - Pine City
Utilities
Other Utilities: Electricity Available,None Available,None Connected,Water Available
Exterior / Lot Features
Lot Dimensions: 132x826x132x921
Zoning: Residential-Single Family
Topography: Level
Additional Exterior/Lot Features: Tree Coverage - Medium, Subdivided, Land Inclusions - Survey
Waterfront Details
Standard Water Body: Cross
DNR Lake ID: 58011900
Water Front Features: Lake View
Lake Acres: 925
Lake Depth: 30 Ft.
Driving Directions
Going south on 35 from Hinckley take a left onto Beroun Crossing Road. Take a right on Cross Lake Road.Follow about five miles to Crab Apple Drive, land is on the right.
Financial Considerations
Tax/Property ID: TBD
Tax Amount: 450
Tax Year: 2025
HomeStead Description: Non-Homesteaded
A broker reciprocity listing courtesy: Coldwell Banker Realty
The data relating to real estate for sale on this web site comes in part from the Broker Reciprocity℠ Program of the Regional Multiple Listing Service of Minnesota, Inc. Real estate listings held by brokerage firms other than Edina Realty, Inc. are marked with the Broker Reciprocity℠ logo or the Broker Reciprocity℠ thumbnail and detailed information about them includes the name of the listing brokers. Edina Realty, Inc. is not a Multiple Listing Service (MLS), nor does it offer MLS access. This website is a service of Edina Realty, Inc., a broker Participant of the Regional Multiple Listing Service of Minnesota, Inc. IDX information is provided exclusively for consumers personal, non-commercial use and may not be used for any purpose other than to identify prospective properties consumers may be interested in purchasing. Open House information is subject to change without notice. Information deemed reliable but not guaranteed.
Copyright 2026 Regional Multiple Listing Service of Minnesota, Inc. All Rights Reserved.
Payment Calculator
Interest rate and annual percentage rate (APR) are based on current market conditions, are for informational purposes only, are subject to change without notice and may be subject to pricing add-ons related to property type, loan amount, loan-to-value, credit score and other variables. Estimated closing costs used in the APR calculation are assumed to be paid by the borrower at closing. If the closing costs are financed, the loan, APR and payment amounts will be higher. If the down payment is less than 20%, mortgage insurance may be required and could increase the monthly payment and APR. Contact us for details. Additional loan programs may be available. Accuracy is not guaranteed, and all products may not be available in all borrower's geographical areas and are based on their individual situation. This is not a credit decision or a commitment to lend.
Sales History & Tax Summary for X Crooked River Rd, Lot I
Sales History
| Date | Price | |
|---|---|---|
| Currently not available. | ||
Tax Summary
| Tax Year | Estimated Market Value | Total Tax |
|---|---|---|
| Currently not available. | ||
Data powered by ATTOM Data Solutions. Copyright© 2026. Information deemed reliable but not guaranteed.
Schools
Schools nearby X Crooked River Rd, Lot I
| Schools in attendance boundaries | Grades | Distance | Rating |
|---|---|---|---|
| Loading... | |||
| Schools nearby | Grades | Distance | Rating |
|---|---|---|---|
| Loading... | |||
Data powered by ATTOM Data Solutions. Copyright© 2026. Information deemed reliable but not guaranteed.
The schools shown represent both the assigned schools and schools by distance based on local school and district attendance boundaries. Attendance boundaries change based on various factors and proximity does not guarantee enrollment eligibility. Please consult your real estate agent and/or the school district to confirm the schools this property is zoned to attend. Information is deemed reliable but not guaranteed.
SchoolDigger ® Rating
The SchoolDigger rating system is a 1-5 scale with 5 as the highest rating. SchoolDigger ranks schools based on test scores supplied by each state's Department of Education. They calculate an average standard score by normalizing and averaging each school's test scores across all tests and grades.
Coming soon properties will soon be on the market, but are not yet available for showings.